_DJH.jpg)
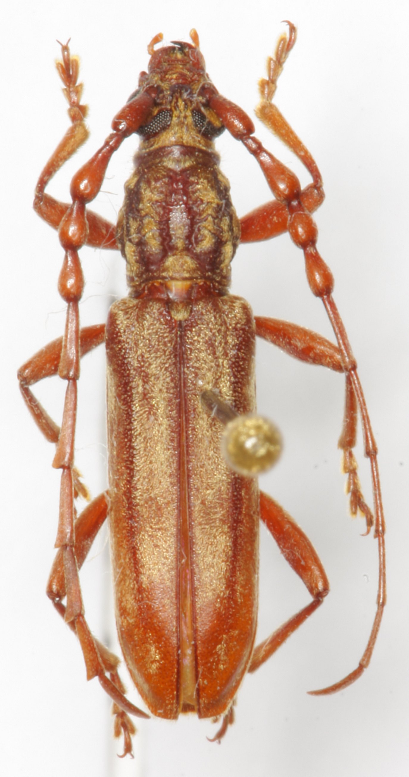
Specimen Type: holotype Sex: m Institution: Holzschuh Collection Photographer: Lubo Dembický Collection Location: Mt Trus Madi, Crocker Range, Sabah, Borneo 38504
|
_Holzschuh_Sabah_Malaysia_LGB.jpg)
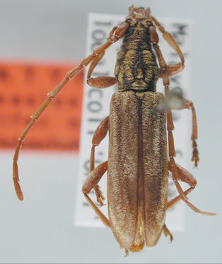
Specimen Type: paratype Institution: LGBC Larry G. Bezark Collection, Sacramento, California, USA Photographer: Larry G. Bezark Collection Location: Mt Trus Madi, Crocker Range, Sabah, Borneo 38505
|