_DJH.jpg)
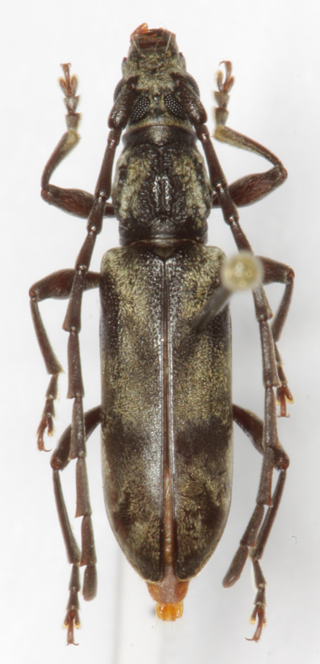
Specimen Type: holotype Sex: m Institution: Holzschuh Collection Photographer: Lubo Dembický Collection Location: Crocker Range, Sabah, Borneo 38499
|
_Holzschuh_Sabah_Malaysia_LGB.jpg)
Specimen Type: paratype Institution: LGBC Larry G. Bezark Collection, Sacramento, California, USA Photographer: Larry G. Bezark Collection Location: Crocker Range, Sabah, Borneo 38500
|