_Huedepohl_coll_Indonesia_Sabah_Crocker_Range.jpg)
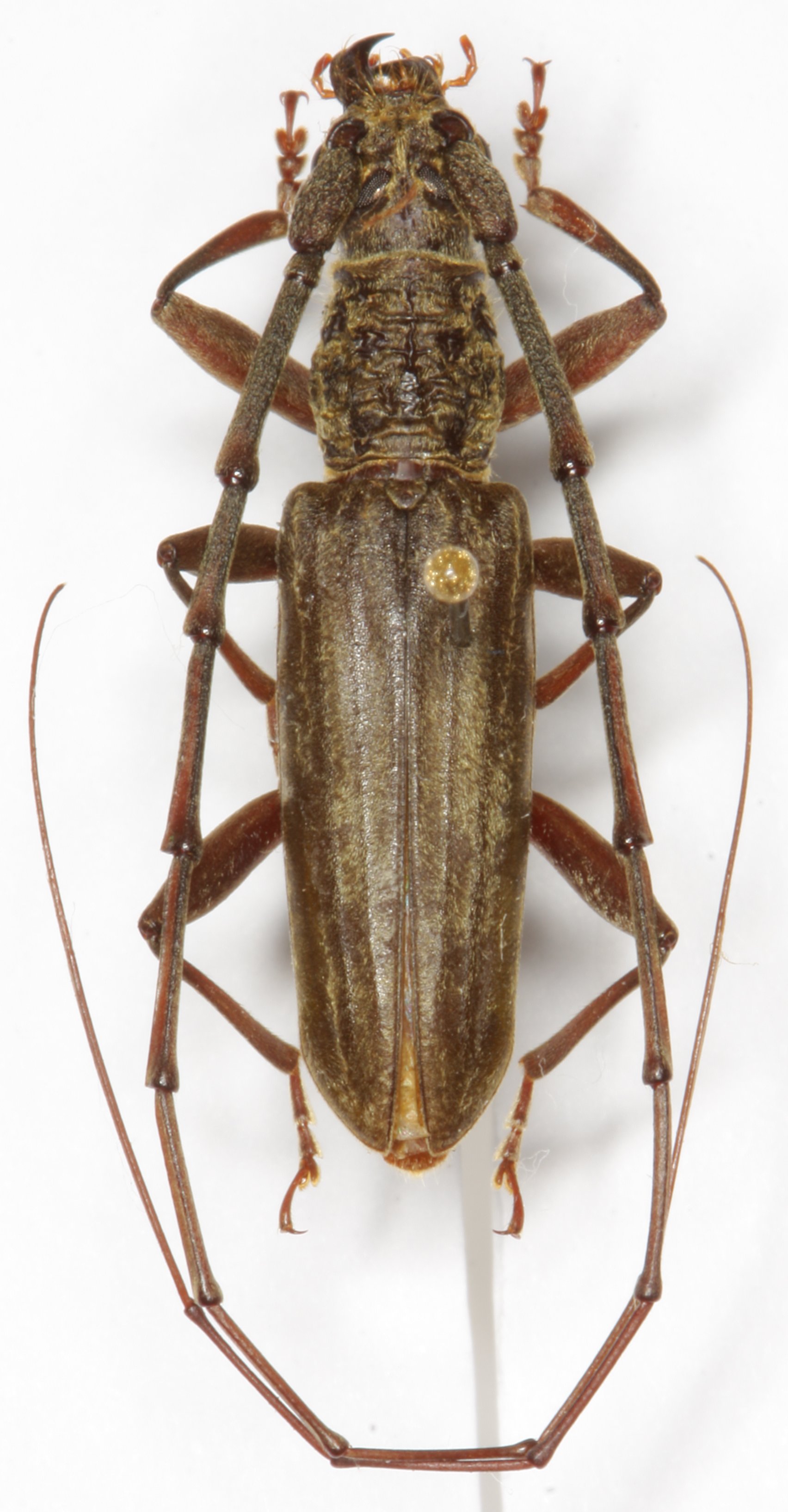
Dymasius obscurus Huedepohl Specimen Type: holotype Sex: m Institution: ZSM Zoologische Staatssammlung, München, Germany Determiner: Entomofauna Zeitschrift für Entomologie Collection Location: Crocker Range, Sabah, Borneo 38506
|

Dymasius obscurus Huedepohl Photographer: Robert Vigneault, Cerambycoidea Forum 38507
|
_(Gahan)_Sabah.jpg)
Sex: m Institution: Heffern Collection Photographer: Dan Heffern Collection Location: Sabah, Borneo 71785
|

Photographer: Larry G. Bezark Collection Location: Mt Trus Madi, Crocker Range, Sabah, Borneo 38497
|
|