 Gounelle MNHN Jataí, Goias, Brazil.jpg)
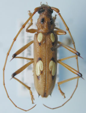
Specimen Type: holotype Sex: m Institution: MNHN Museum of Natural History Paris, France Photographer: JS Moure Collection Location: Jataí, Goias, Brazil 16217
|
_(m)_Gounelle_MNHN_JAC.jpg)
Specimen Type: holotype Sex: m Institution: MNHN Museum of Natural History Paris, France Photographer: John Chemsak Collection Location: Jataí, Goias, Brazil 16216
|