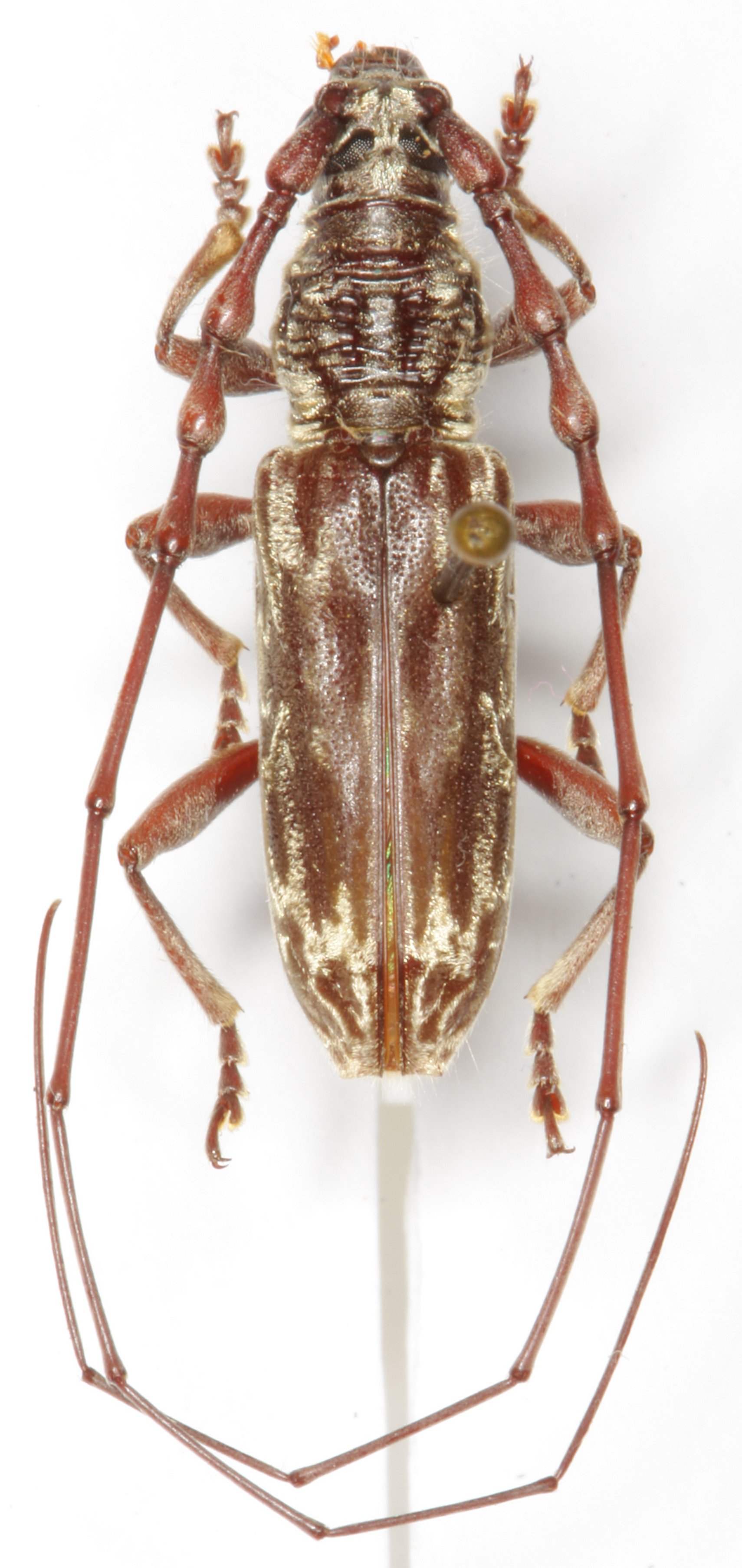
_DJH.jpg)
Specimen Type: holotype Sex: m Institution: Holzschuh Collection Photographer: Lubo Dembický Collection Location: Crocker Range, Sabah, Borneo 38485
|
_Holzschuh_Crocker_Range_Sabah_Borneo.jpg)
Sex: m Institution: Heffern Collection Photographer: Dan Heffern Collection Location: Crocker range, Sabah, Borneo 71780
|