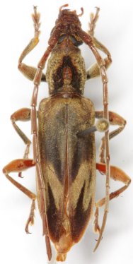
_Aurivillius_Borneo_now_Derolydnus.jpg)
Elydnus bisulcatus Aurivillius Specimen Type: holotype Sex: f Institution: NHRS Naturhistoriska Riksmuseet, Stockholm, Sweden Collection Location: Sarawak, Borneo 49604
|
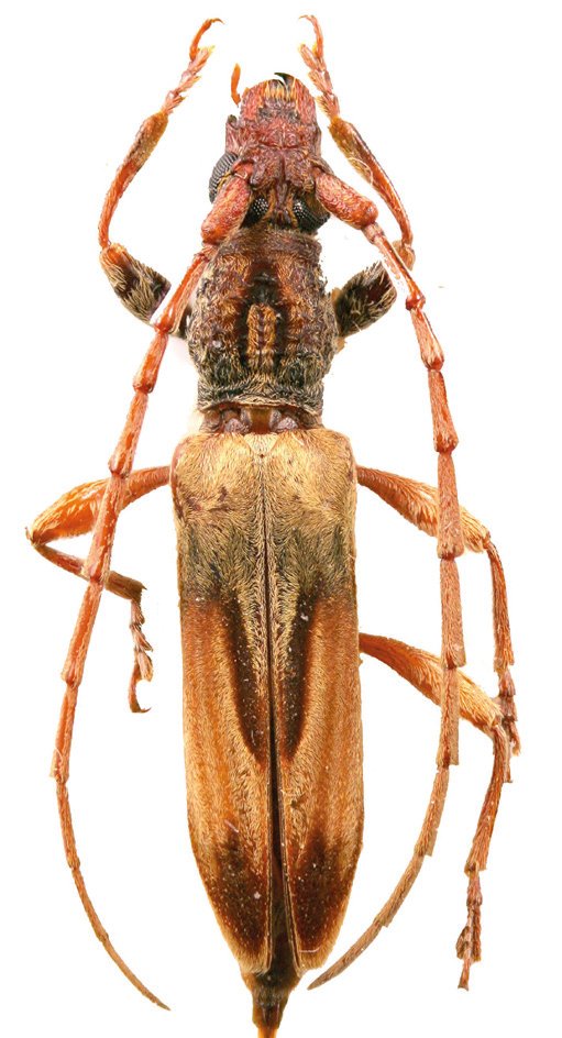
 Auriv NHRS Tenasserim, Mynamar now Derolydnus LD pic.jpg)
Elydnus bisulcatus Aurivillius Specimen Type: holotype Sex: m Institution: NHRS Naturhistoriska Riksmuseet, Stockholm, Sweden Photographer: Lubo Dembický Collection Location: Tenasserim, Mynamar 90931
|

Photographer: Udo Schmidt Determiner: Weigel Collection Location: Sabah, Borneo 38457
|
_(Aurivillius)_Vives_Coll_Sandayong_Zamboanga_Mindanao_Philippines_EV.jpg)
Sex: f Institution: Vives Collection Photographer: Eduard Vives Collection Location: Sandayong, Zamboanga, Mindanao Island, Philippines 73472
|
_Sabah_Borneo_Gorodinski.jpg)
Photographer: Andre Gorodinski Collection Location: Sabah, Borneo, Malaysia 37267
|
_DJH.jpg)
Sex: m Photographer: Dan Heffern Collection Location: Sabah, Borneo, Malaysia 37268
|

Photographer: Robert Vigneault, Cerambycoidea Forum Collection Location: Sabah, Borneo, Malaysia 37269
|

Photographer: Dan Heffern Collection Location: Sabah, Borneo, Malaysia 37270
|
|