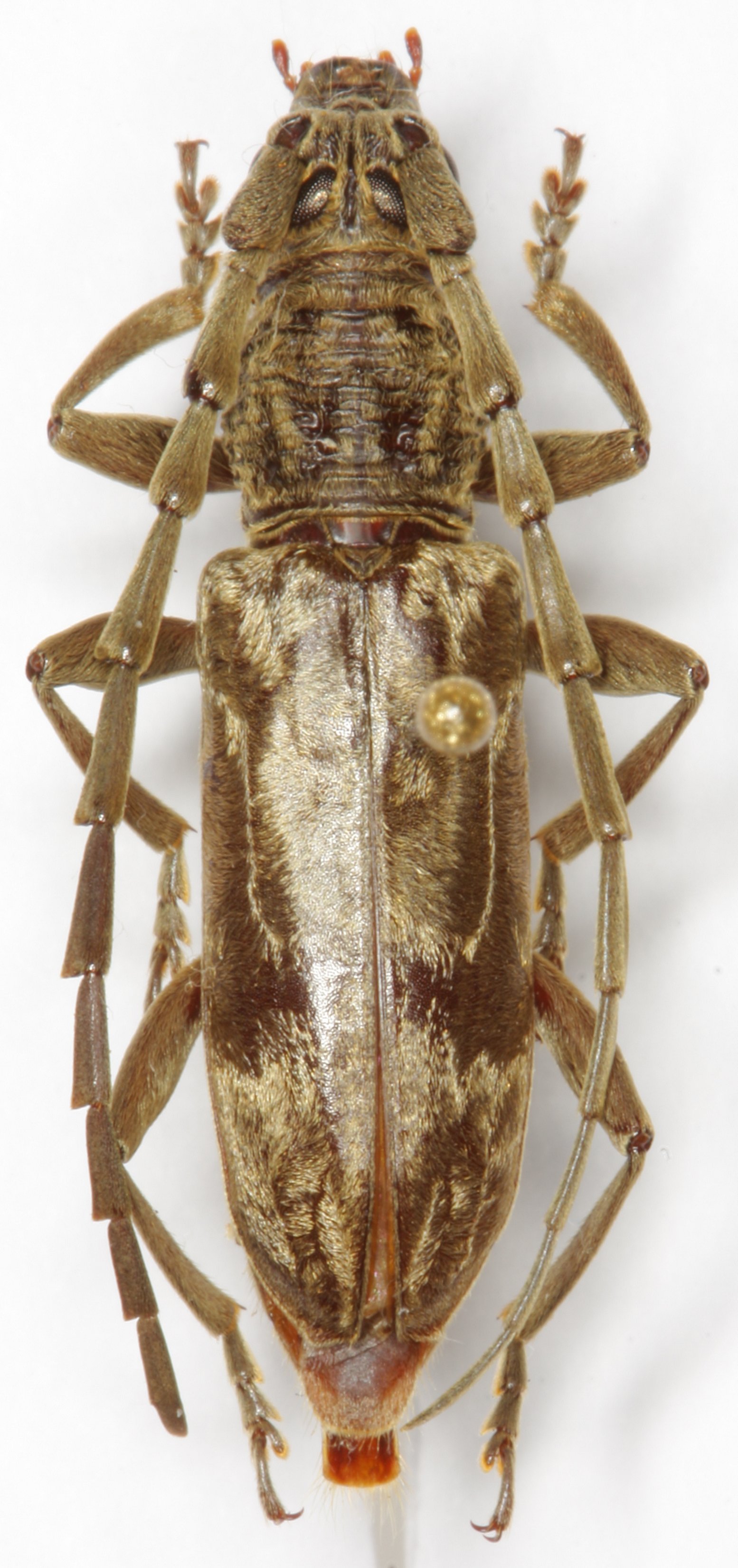
_Huedepohl_coll_EMalaysia_Sabah_mi18_Kumanis_rd.jpg)
Specimen Type: holotype Sex: m Institution: Huedepohl Collection Determiner: Entomofauna Zeitschrift für Entomologie Collection Location: mi 18 Kumanis road, Sabah, East Malaysia 37259
|
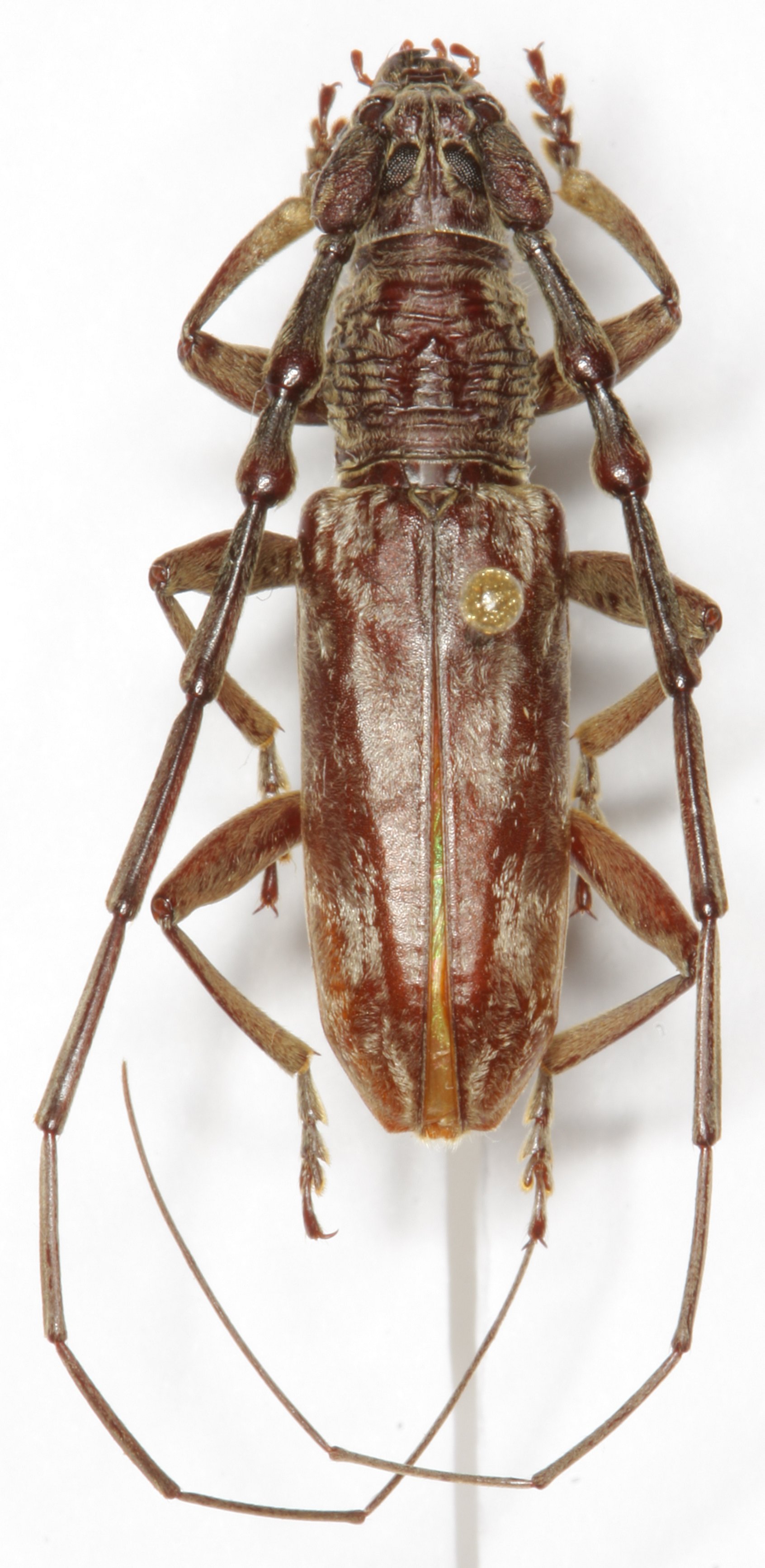
_Huedepohl_Sabah.jpg)
Sex: m Institution: Heffern Collection Photographer: Dan Heffern Collection Location: Sabah, Borneo 71765
|