_Hayashi_OMNH_Kayu_Kapur_Camp_Sibuti_Sarawak_Borneo_now_Pneumida_Shigehiko_Shiyake.jpg)
Specimen Type: holotype Institution: OMNH Osaka Museum of Natural History, Japan Photographer: Shigehiko Shiyake Collection Location: Kayu Kapur Camp, Sibuti, Sarawak, Borneo 69592
|
_Hayashi_OMNH_Kayu_Kapur_Camp_Sibuti_Sarawak_Borneo_now_Pneumida_Shigehiko_Shiyake.jpg)
Specimen Type: holotype Institution: OMNH Osaka Museum of Natural History, Japan Photographer: Shigehiko Shiyake Collection Location: Kayu Kapur Camp, Sibuti, Sarawak, Borneo 69593
|

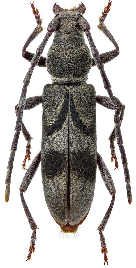
Sex: f Photographer: Makihara 37261
|

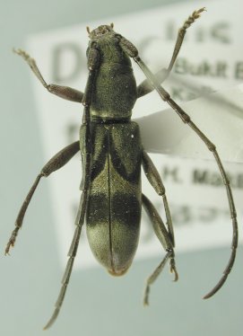
Institution: LIPI Lembaga Ilmu Pengetahuan, Bogor, Indonesia Photographer: Larry G. Bezark Determiner: Makihara Collection Location: Bukit Bangkirai, Kalimantan, Indonesia 43535
|
_(Hayashi)_W_Malaysia.jpg)
Sex: f Collection Location: Western Malaysia 69594
|
|