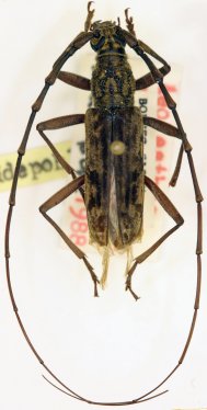
_DJH.jpg)
Aeolesthes sticheri Huedepohl Specimen Type: holotype Sex: m Institution: ZSM Zoologische Staatssammlung, München, Germany Photographer: Dan Heffern Collection Location: Mt. Rinagsian, Sabah, Borneo 35772
|
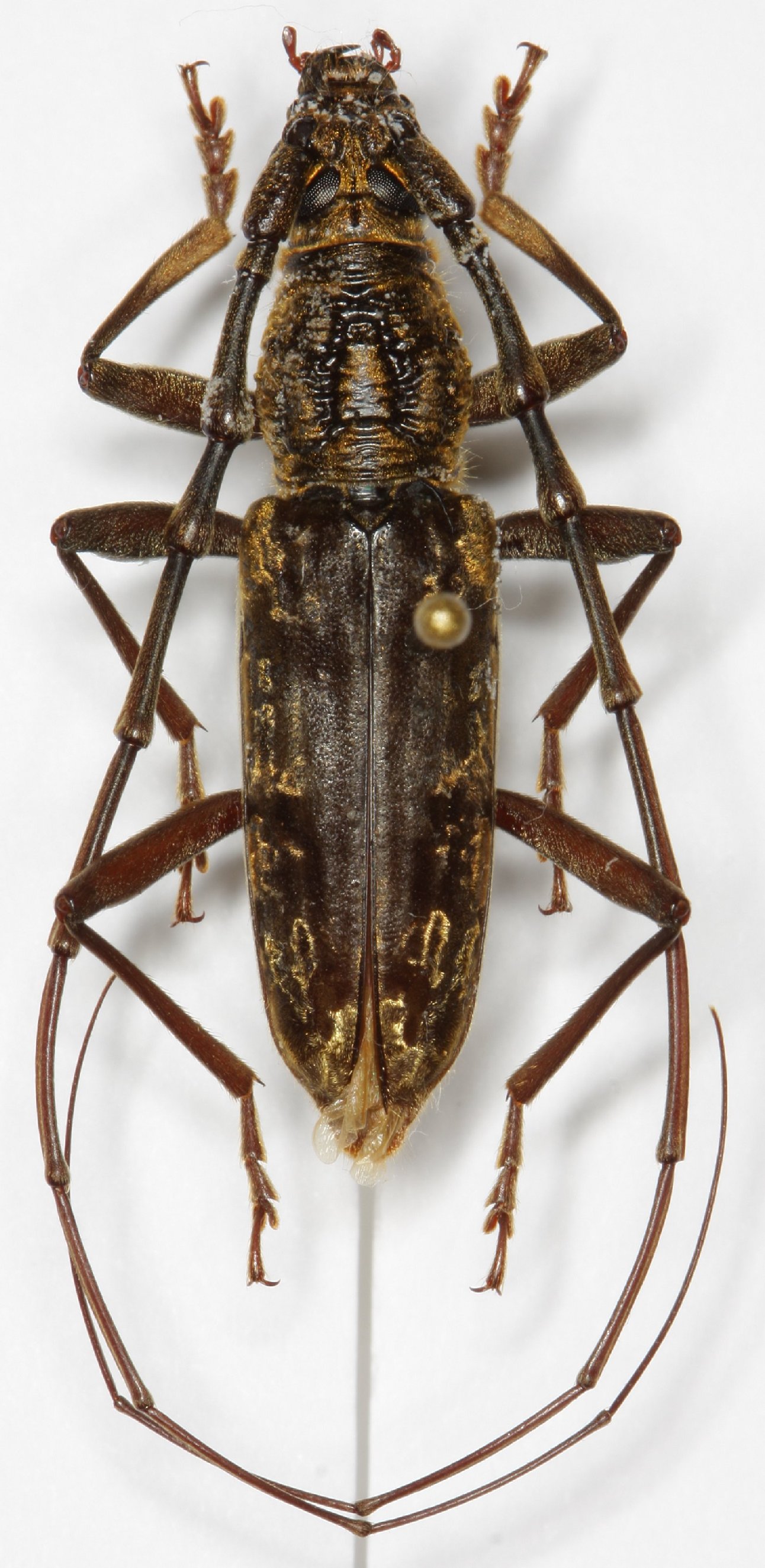
_DJH.jpg)
Aeolesthes sticheri Huedepohl Specimen Type: holotype Sex: m Institution: ZSM Zoologische Staatssammlung, München, Germany Photographer: Dan Heffern Collection Location: Mt. Rinagsian, Sabah, Borneo 35773
|