_Mt_Bawang_W_Kalimantan_P_Jacquot_det_GC.jpg)
Photographer: Philippe Jacquot, Cerambycoidea Forum Determiner: Gerard Chemin, Cerambycoidea Forum Collection Location: Mt Bawang, Kalimantan, Borneo 66243
|
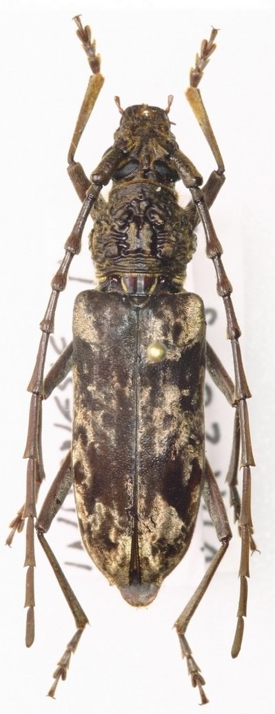
_(Fabr)_Mt_Bawang_W_Kalimantan_P_Jacquot_det_GC.jpg)
Photographer: Philippe Jacquot, Cerambycoidea Forum Determiner: Gerard Chemin, Cerambycoidea Forum Collection Location: Mt Bawang, Kalimantan, Borneo 66244
|