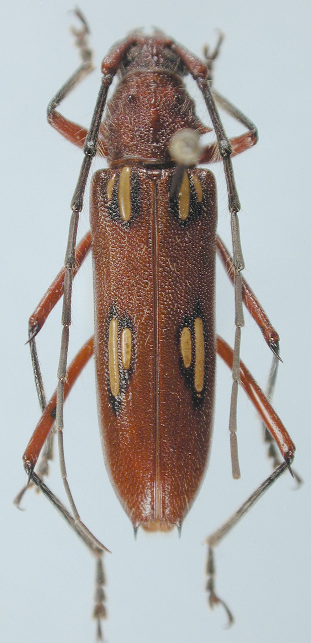
 Alto Paraiso, Goias, Brazil LGBC.jpg)
Sex: f Institution: LGBC Larry G. Bezark Collection, Sacramento, California, USA Photographer: Larry G. Bezark Collection Location: Alto Paraiso, Goias, Brazil 95755
|
 (Gounelle) Alto Paraiso, Goias, Brazil LGBC.jpg)
Sex: f Institution: LGBC Larry G. Bezark Collection, Sacramento, California, USA Photographer: Larry G. Bezark Collection Location: Alto Paraiso, Goias, Brazil 95756
|
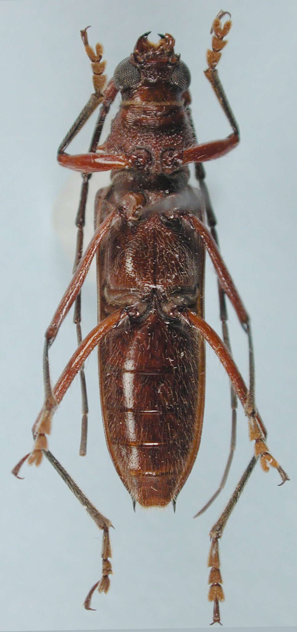
_(Goun)_MNRJ_Mineiros_Goias_Brazil.jpg)
Sex: f Institution: MNRJ Museu Nacional Universidade do Rio Janeiro, Brazil Photographer: Larry G. Bezark Collection Location: Mineiros, Goias, Brazil 33300
|
_(Goun)_MNRJ_Mineiros_Goias_Brazil.jpg)
Sex: m Institution: MNRJ Museu Nacional Universidade do Rio Janeiro, Brazil Photographer: Larry G. Bezark Collection Location: Mineiros, Goias, Brazil 33301
|
_(Gounelle)_Botero.jpg)
Sex: m Photographer: Juan Pablo Botero 63402
|
|