New Search Family, Subfamily and Tribe List

SubFamily Cerambycinae

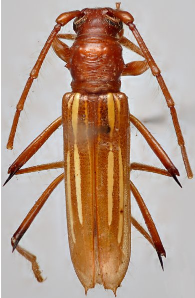
Tribe Eburiini
Eburodacrys gaucha Galileo & Martins 1992

Photographer: Jim Wappes
Collection Location: Bolivia
42168


Photographer: Jim Wappes
Collection Location: Bolivia
7060


21279


Sex: f
Photographer: Juan Pablo Botero
63401

130425