
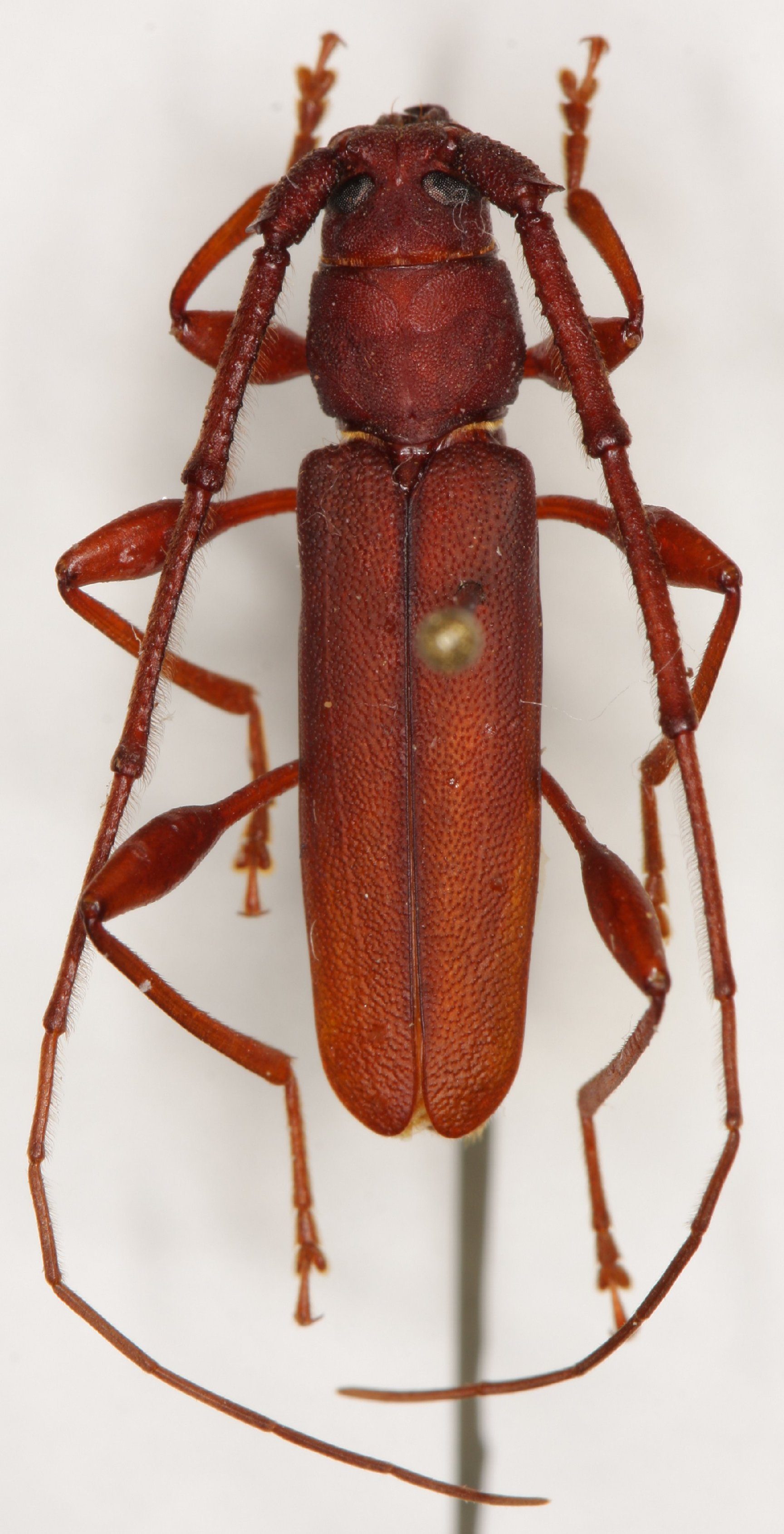
Institution: Heffern Collection Photographer: Dan Heffern Collection Location: Sabah, Borneo 71951
|

Photographer: Robert Vigneault, Cerambycoidea Forum 66911
|

Photographer: Andre Skale, Cerambycoidea Forum Determiner: Dan Heffern, Cerambycoidea Forum Collection Location: Mt Trus Madi, Sabah, Borneo 66912
|

Photographer: Nylander 66913
|
|