_Pascoe_Borneo_=_Tetraommatus.jpg)
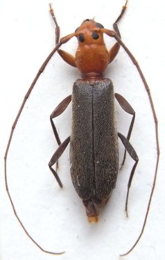
Deuteromma callidioides Pascoe Specimen Type: holotype Institution: BMNH British Museum Natural History, London, UK Collection Location: Borneo 37323
|

Institution: Heffern Collection Photographer: Dan Heffern Collection Location: Sabah, Borneo 71926
|
_Upper_Baram_Sulawesi_Xavier.jpg)
Photographer: Xavier Gouverneur, Cerambycoidea Forum Collection Location: Upper Baram, Sulawesi 63668
|
|