New Search Family, Subfamily and Tribe List

SubFamily Lepturinae

Tribe Lepturini
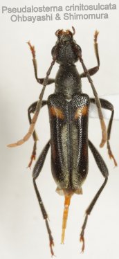
Pseudalosterna crinitosulcata N. Ohbayashi & Shimomura 1986

Specimen Type: holotype
Sex: m
Institution: Shimomura Collection
Determiner: Annals Ent Soc France
Collection Location: Cameron Highlands, Pahang, Malaysia
58010


Photographer: Dan Heffern
58011

130425