New Search Family, Subfamily and Tribe List

SubFamily Cerambycinae

Tribe Eburiini
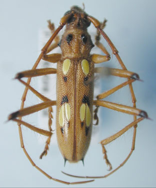
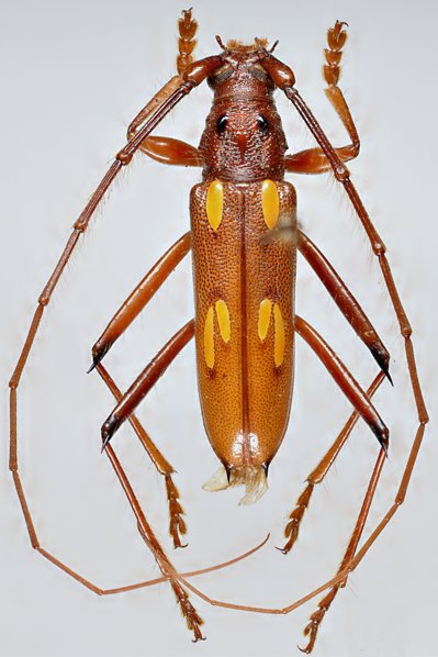
Eburodacrys elegantula Gounelle 1909

Specimen Type: lectotype
Sex: m
Institution: MNHN Museum of Natural History Paris, France
Photographer: JS Moure
Collection Location: Jatai, Goias, Brazil
101708


Photographer: Jim Wappes
Collection Location: Bolivia
7052


Institution: FTH Frank T. Hovore collection (now at California Academy of Sciences)
Photographer: Larry G. Bezark
Collection Location: Ecuador
7053


Sex: m
Photographer: Juan Pablo Botero
63397

130425