_Hayashi_OMNH_Cameron_Highlands_Tanah_Rata_Pahang_Malaysia.jpg)
Specimen Type: holotype Sex: m Institution: OMNH Osaka Museum of Natural History, Japan Photographer: Jianhua Huang Collection Location: Cameron Highlands, Tanah Rata, Pahang, Malaysia 71481
|

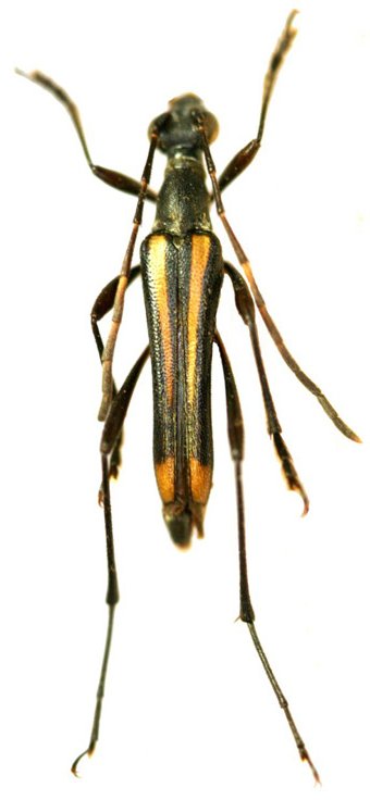
Institution: LGBC Larry G. Bezark Collection, Sacramento, California, USA Photographer: Larry G. Bezark Collection Location: Ringlet, Malaysia 49408
|