 White BMNH now Eburodacrys Moure.jpg)
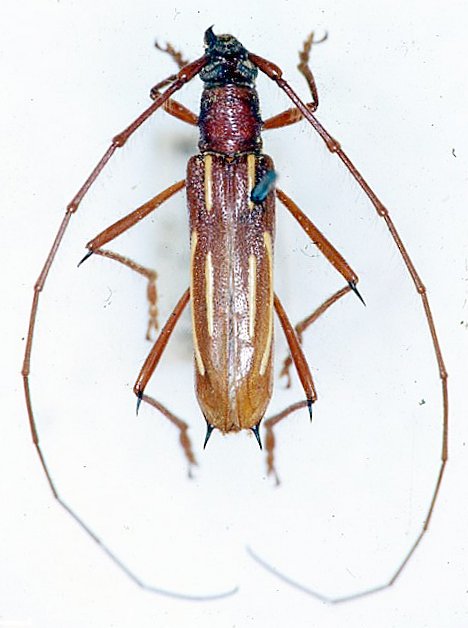
Mallocera eburoides White Specimen Type: holotype Sex: f Institution: BMNH British Museum Natural History, London, UK Photographer: JS Moure Collection Location: ? 101698
|
 Bates MNHN Santa Fe, Minas Gerais, Brazil now eburioides Moure.jpg)
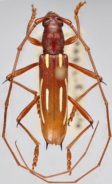
Eburodacrys arcifera Bates Specimen Type: holotype Sex: m Institution: MNHN Museum of Natural History Paris, France Photographer: JS Moure Collection Location: Santa Fe, Minas Gerais, Brazil 101699
|
 Gounelle MNHN Jatai, Goias, Brazikl now ebur Moure.jpg)
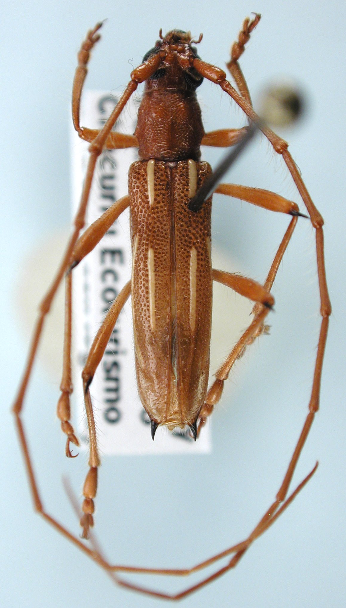
Eburodacrys eburoides var concolor Gounelle Specimen Type: syntype Institution: MNHN Museum of Natural History Paris, France Photographer: JS Moure Collection Location: Jatai, Goias, Brazil 101700
|
_(White)_Botero.jpg)
Sex: m Photographer: Juan Pablo Botero 63392
|
_LGBC_Tirol_Paraguay 1.jpg)
Sex: m Institution: LGBC Larry G. Bezark Collection, Sacramento, California, USA Photographer: Larry G. Bezark Collection Location: Hotel Tirol, Encarnacion, Paraguay 69680
|
_Tirol_LGB.jpg)
Institution: LGBC Larry G. Bezark Collection, Sacramento, California, USA Photographer: Larry G. Bezark Collection Location: Hotel Tirol, Encarnacion, Paraguay 18906
|
_Tirol_LGB.jpg)
Institution: LGBC Larry G. Bezark Collection, Sacramento, California, USA Photographer: Larry G. Bezark Collection Location: Hotel Tirol, Encarnacion, Paraguay 18907
|
_MNRJ_Corcovado_Guanabara_Brazil.jpg)
Institution: MNRJ Museu Nacional Universidade do Rio Janeiro, Brazil Photographer: Larry G. Bezark Collection Location: Corcovado, Rio de Janeiro, Brazil 33298
|

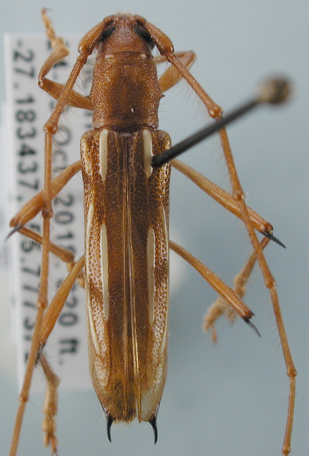
Institution: MZSP Museu de Zoologia da Universidade de São Paulo, Brazil Photographer: Larry G. Bezark Collection Location: Vianopolis, Goias, Brazil 33299
|
|