
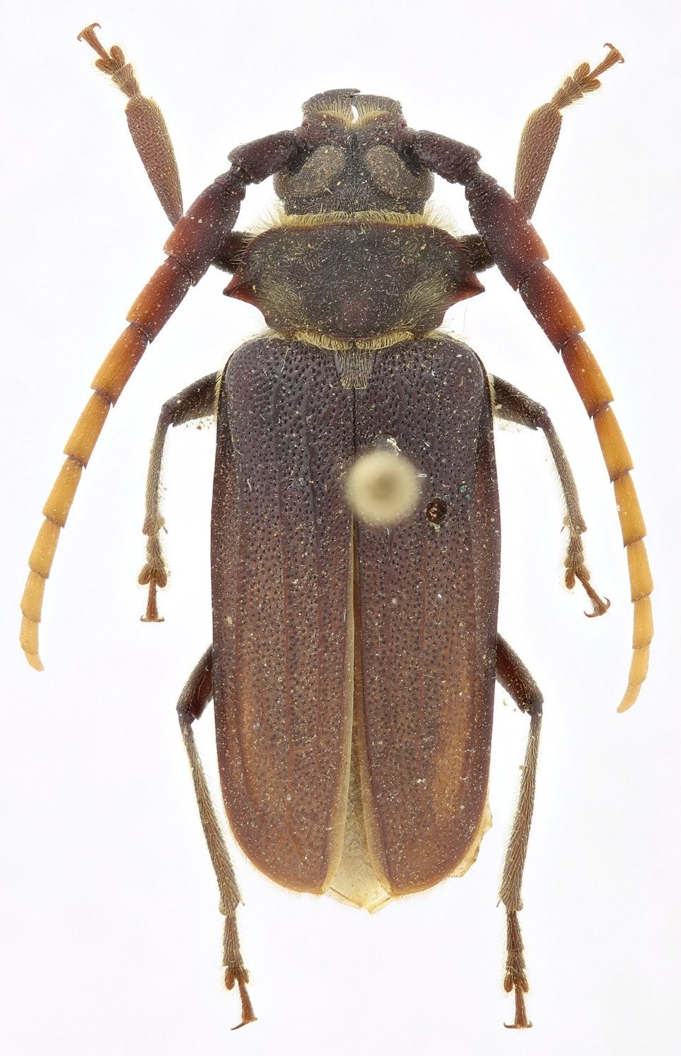
Specimen Type: holotype Sex: m Institution: BMNH British Museum Natural History, London, UK Photographer: Keita Matsumoto Collection Location: Sarawak, Borneo 69396
|
_Pascoe_BMNH_Sarawak_Borneo_KM.jpg)
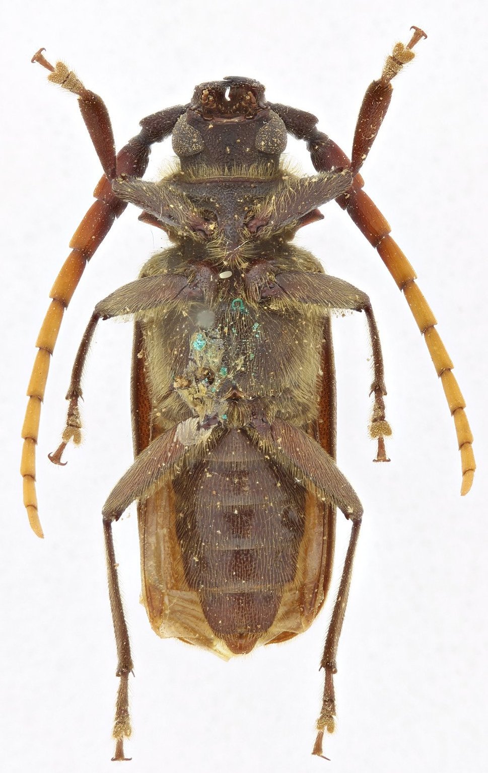
Specimen Type: holotype Sex: m Institution: BMNH British Museum Natural History, London, UK Photographer: Keita Matsumoto Collection Location: Sarawak, Borneo 69397
|
_Pascoe_BMNH_KM.jpg)
Specimen Type: holotype Sex: m Institution: BMNH British Museum Natural History, London, UK Photographer: Keita Matsumoto Collection Location: Sarawak, Borneo 69398
|
_Noel_Mal_photo_Malaysia_Sabah_.jpg)
Sex: m Institution: IRSNB Royal Belgian Institute of Natural Sciences, Brussels, Belgium Photographer: Noel Mal Collection Location: Sabah, Borneo 60588
|
_Noel_Mal_photo_Malaysia_Sabah_.jpg)
Sex: f Institution: IRSNB Royal Belgian Institute of Natural Sciences, Brussels, Belgium Photographer: Noel Mal Collection Location: Sabah, Borneo 60589
|
_Pascoe_DJH.jpg)
Sex: m Photographer: Dan Heffern Collection Location: Sabah, Borneo 60590
|
_Pascoe_DJH.jpg)
Sex: f Photographer: Dan Heffern Collection Location: Sabah, Borneo 60591
|
 Pascoe Taman Negara, Malaysia Rudi Gabzdil.jpg)
Sex: m Photographer: Rudolph Gabzdil Collection Location: Taman Negara, Malaysia 90756
|
_Pascoe_NP_Lord.jpg)
Sex: m Photographer: Nathan P. Lord Collection Location: Sabah, Borneo 27234
|

Photographer: Ulf Nylander 27236
|