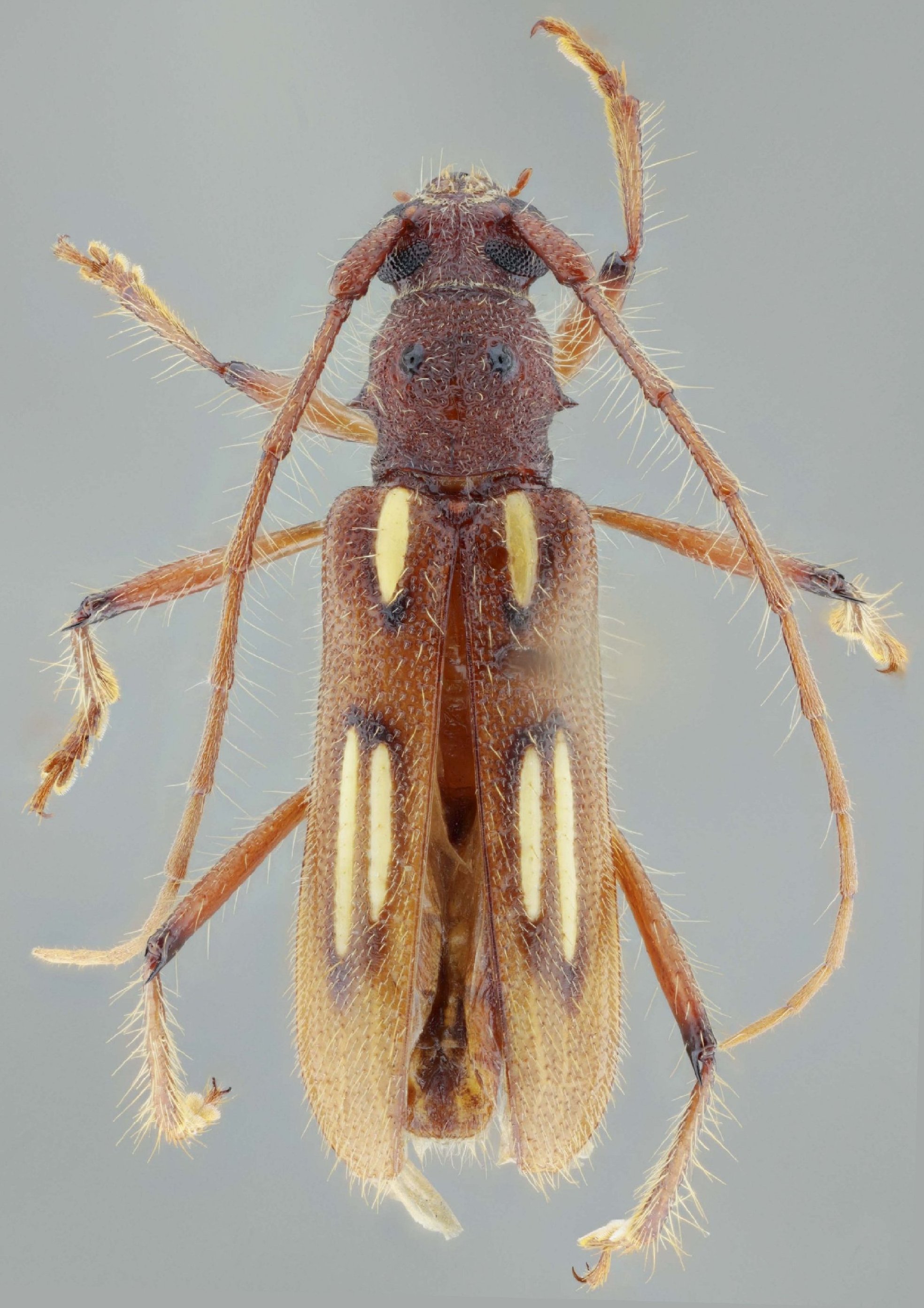
 Gounelle MNHN Jataí, Goias, Brazil Moure.jpg)
Specimen Type: syntype Institution: MNHN Museum of Natural History Paris, France Photographer: JS Moure Collection Location: Goias or Minas Gerais 101707
|
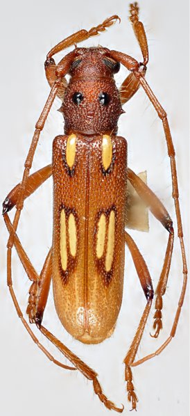
_Gounelle_Botero.jpg)
Sex: m Photographer: Juan Pablo Botero Collection Location: Sao Paolo, Brazil 24584
|

Sex: f Institution: ZUFMS Coleção Zoológica da Universidade Federal de Mato Grosso do Sul, Brazil Photographer: Antonio Santos-Silva Collection Location: Campo Grande, Mato Grosso do Sul, Brazil 101012
|
_Det_Santos-Silva_LGB.jpg)
Photographer: Larry G. Bezark Determiner: Santos-Silva Collection Location: Sao Paolo, Brazil 24583
|
|