_Pascoe_BMNH_Sarawak_Borneo_Jiri_Pirkl_pic.jpg)
Specimen Type: holotype Sex: m Institution: BMNH British Museum Natural History, London, UK Photographer: Jiri Pirkl Collection Location: Sarawak, Borneo 74534
|
_Pascoe_BMNH_Sarawak_Borneo_Jiri_Pirkl_pic.jpg)
Specimen Type: holotype Sex: m Institution: BMNH British Museum Natural History, London, UK Photographer: Jiri Pirkl Collection Location: Sarawak, Borneo 74548
|
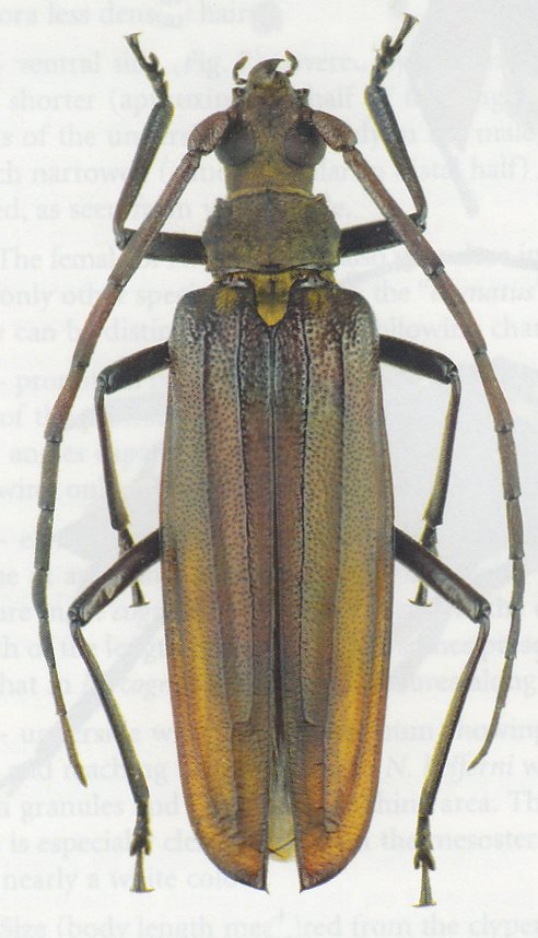
_Pascoe_BMNH_Sarawak_Borneo_Jiri_Pirkl_pic.jpg)
Specimen Type: holotype Sex: m Institution: BMNH British Museum Natural History, London, UK Photographer: Jiri Pirkl Collection Location: Sarawak, Borneo 74547
|
_Pascoe_Drumont_coll_Kipanda_Sabah_Borneo_Noel_Mal_pic.jpg)
Sex: f Photographer: Noel Mal Collection Location: Kipanda, Sabah, Borneo 74549
|

Photographer: Dan Heffern 54391
|
|