_Fisher_Indonesia_USNM.jpg)
Megopis suturalis Fisher Specimen Type: holotype Sex: f Institution: NMNH United States National Museum, Washington, DC, USA Photographer: Steve Lingafelter Collection Location: Mt Kinabalu, Sabah, Borneo 52255
|
_Fisher_NMNH_MtKinabalu_Sabah_Megobara.jpg)
Megopis suturalis Fisher Specimen Type: holotype Sex: f Institution: NMNH United States National Museum, Washington, DC, USA Photographer: Steve Lingafelter Collection Location: Mt Kinabalu, Sabah, Borneo 52256
|
_(Fisher)_DJH.jpg)
Sex: m Photographer: Dan Heffern 52251
|
_(Fisher)_DJH.jpg)
Sex: f Photographer: Dan Heffern 52252
|
_Sabah.jpg)
Institution: LGBC Larry G. Bezark Collection, Sacramento, California, USA Photographer: Larry G. Bezark Collection Location: Sabah, Borneo 52253
|
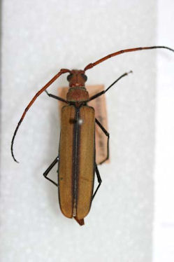
_Komiya.jpg)
52254
|
|