New Search Family, Subfamily and Tribe List

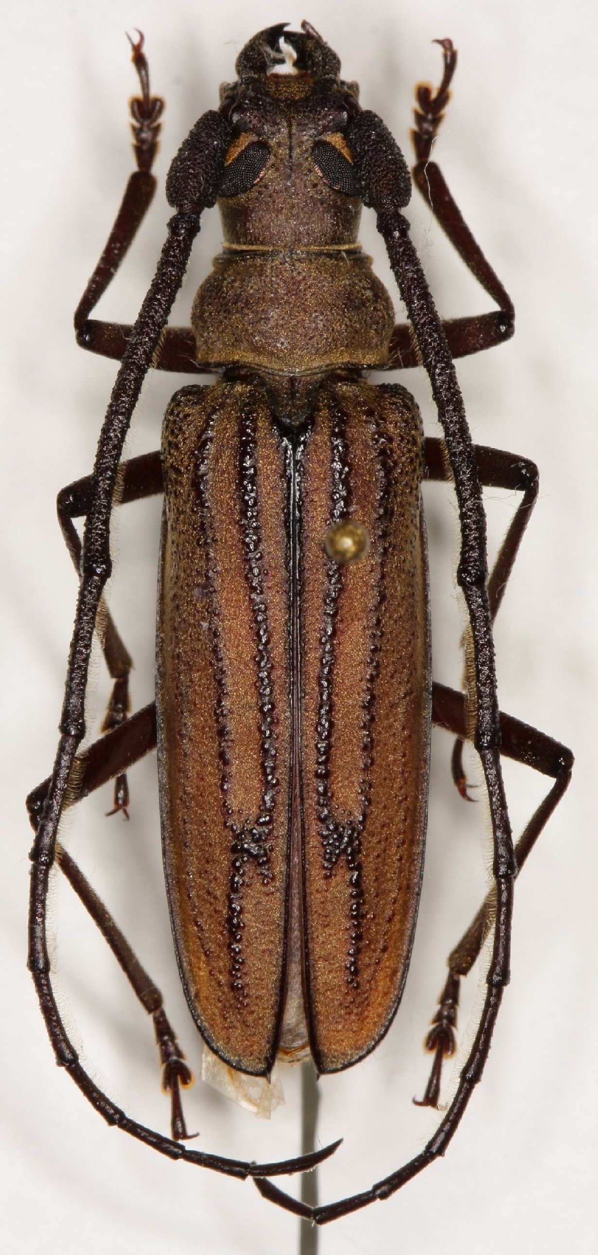
SubFamily Prioninae

Tribe Aegosomatini
Megobaralipton lansbergei lansbergei (Lameere, 1901)

Institution: LIPI Lembaga Ilmu Pengetahuan, Bogor, Indonesia
Photographer: Larry G. Bezark
Collection Location: Kalimantan, Borneo
43851


Sex: m
Institution: Heffern Collection
Photographer: Dan Heffern
Collection Location: Sabah, Borneo
71867


Sex: mf
Determiner: Elytra, Tokyo
52245

130425