New Search Family, Subfamily and Tribe List

SubFamily Cerambycinae

Tribe Eburiini
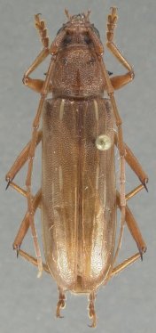
Eburodacrys cunusaia Martins 1997

Specimen Type: holotype
Sex: f
Institution: MZSP Museu de Zoologia da Universidade de São Paulo, Brazil
Collection Location: Maracas, Bahia, Brazil
21289


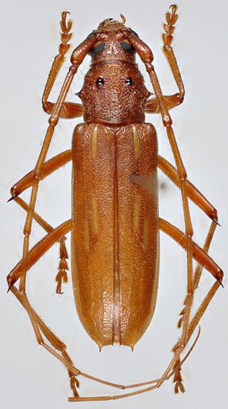
Sex: m
Photographer: Juan Pablo Botero
63391


Sex: m
Photographer: Jim Wappes
Collection Location: Bolivia
42166


Sex: f
Photographer: Jim Wappes
Collection Location: Bolivia
42167

130425