 Gounelle MNHN Goias and Minas Gerais Moure.jpg)
Specimen Type: syntype Institution: MNHN Museum of Natural History Paris, France Photographer: JS Moure Collection Location: Goias or Minas Gerais 101705
|
 Gounelle MNHN Goias and Minas Gerais Moure.jpg)
Specimen Type: syntypes Institution: MNHN Museum of Natural History Paris, France Photographer: JS Moure Collection Location: Goias or Minas Gerais 101706
|

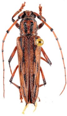
Photographer: Jim Wappes Collection Location: Bolivia 7047
|

Institution: UCB Essig Museum of Entomology, Berkeley, California, USA Photographer: Larry G. Bezark Determiner: Gilmour 7048
|

Photographer: Francisco Nascimento Collection Location: Bahia, Brazil 59607
|
|