New Search Family, Subfamily and Tribe List

SubFamily Cerambycinae

Tribe Eburiini
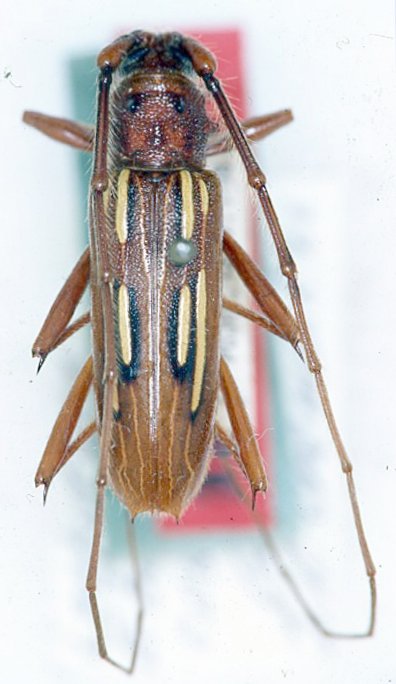
Eburodacrys costai Gounelle 1909

Specimen Type: lectotype
Sex: m
Institution: MNHN Museum of Natural History Paris, France
Photographer: JS Moure
Collection Location: Jatai, Goias, Brazil
101704

130425