New Search Family, Subfamily and Tribe List

SubFamily Parandrinae

Tribe Parandrini
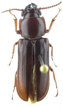
Komiyandra janus (Bates, 1875)

Sex: f
Photographer: Antonio Santos-Silva
51425


Institution: LGBC Larry G. Bezark Collection, Sacramento, California, USA
Photographer: Larry G. Bezark
Collection Location: Sabah, Borneo
55996


Photographer: Robert Vigneault, Cerambycoidea Forum
55997

130425