_Nonfried_SDEIB_Tebing-tinggi_Sumatra_now_Philus_oph_.jpg)
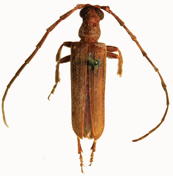
Toxotus fuscus Nonfried Specimen Type: lectotype Sex: m Institution: SDEI Senckenberg Deutsches Entomologisches Institut, Müncheberg, Germany Collection Location: Tebing-tinggi, Sumatra 66391
|
_Nonfried_SDEIB_Tebing-tinggi_Sumatra_now_Philus_oph_.jpg)
Toxotus fuscus Nonfried Specimen Type: lectotype Sex: m Institution: SDEI Senckenberg Deutsches Entomologisches Institut, Müncheberg, Germany Collection Location: Tebing-tinggi, Sumatra 66392
|
_Pascoe_DJH.jpg)
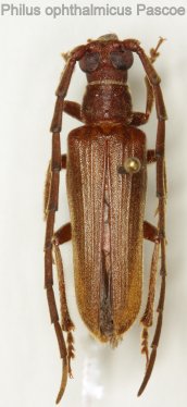
Sex: m Photographer: Dan Heffern 56620
|
_Pascoe_DJH.jpg)
Sex: f Photographer: Dan Heffern 56621
|

Sex: f Institution: LGBC Larry G. Bezark Collection, Sacramento, California, USA Photographer: Larry G. Bezark Determiner: Dan Heffern Collection Location: Mt Trus Madi, Crocker Range, Sabah, Borneo 56622
|

Determiner: Les Cahiers Magellanes 56623
|
|