_Joly_IZFAM_San_Jose_de_Tiznado_Guarico_VZ.jpg)
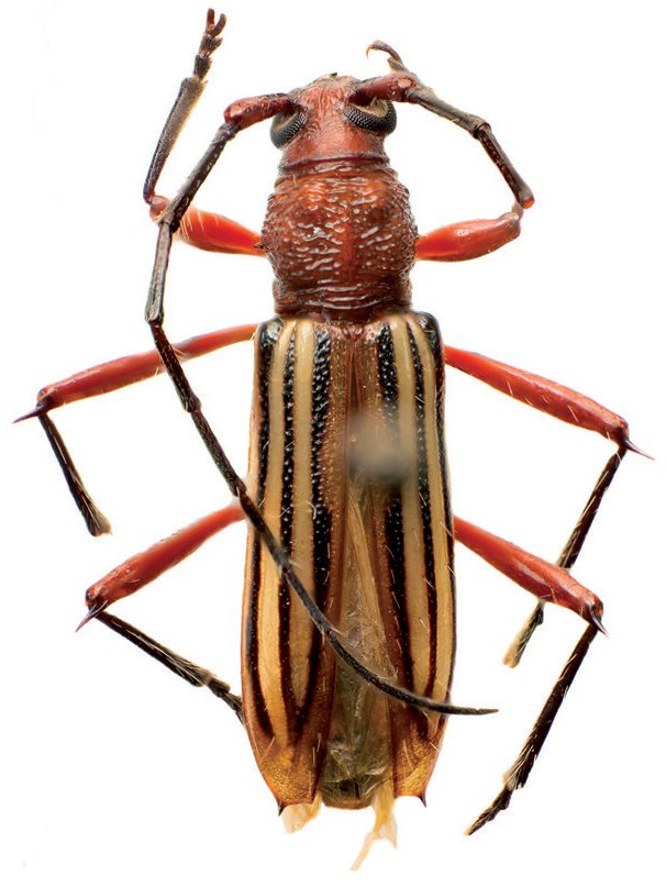
Specimen Type: holotype Sex: m Institution: IZAFM Instituto de Zoología Agrícola, Faculdad de Agronomía de Maracay, Venezuela Photographer: Larry G. Bezark Collection Location: San José de Tiznado, Guarico, Venezuela 33297
|

Specimen Type: holotype Sex: m Institution: IZAFM Instituto de Zoología Agrícola, Faculdad de Agronomía de Maracay, Venezuela Collection Location: San José de Tiznado, Guarico, Venezuela 21287
|
_Estacion_Primates_Coloso_Sucre_Colombia_JPB.jpg)
Institution: MZUS Museo Zoológico de la Universidad de Sucre, Sucre, Colombia Photographer: Juan Pablo Botero Collection Location: Estacion Primates, Coloso, Sucre, Colombia 72891
|
|