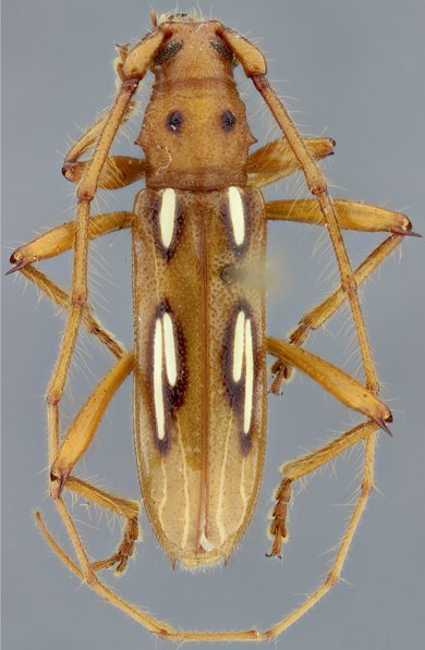
_Bates_BMNH_Plan_del_Rio_VC_Mex_LGB.jpg)
Specimen Type: holotype Sex: m Institution: BMNH British Museum Natural History, London, UK Photographer: Larry G. Bezark Collection Location: Plan del Río, Veracruz, Mexico 46656
|
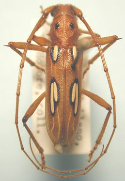
 Bates BMNH Plan del Río, Veracruz, Mexico Moure.jpg)
Specimen Type: holotype Sex: m Institution: BMNH British Museum Natural History, London, UK Photographer: JS Moure Collection Location: Plan del Río, Veracruz, Mexico 16206
|