 Melzer Santarem, Mujo, Para, Brazil Moure.jpg)
Specimen Type: lectotype Sex: m Institution: MZSP Museu de Zoologia da Universidade de São Paulo, Brazil Photographer: JS Moure Collection Location: Santarem, Mujo, Para, Brazil 101697
|
_Melzer_MNRJ_Santarem_Para_Brazil.jpg)
Specimen Type: paratype Sex: f Institution: MNRJ Museu Nacional Universidade do Rio Janeiro, Brazil Photographer: Larry G. Bezark Collection Location: Santarem, Para, Brazil 33296
|
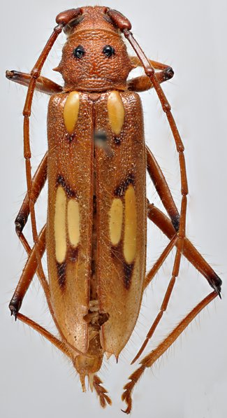
_Melzer_MNRJ_Santarem_Para_Brazil_Botero.jpg)
Specimen Type: paratype Sex: f Institution: MNRJ Museu Nacional Universidade do Rio Janeiro, Brazil Photographer: Juan Pablo Botero Collection Location: Santarem, Para, Brazil 63378
|
|