New Search Family, Subfamily and Tribe List

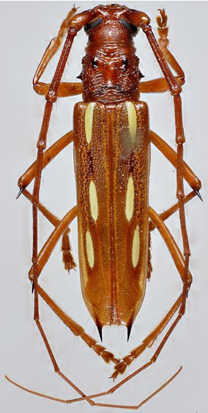
SubFamily Cerambycinae

Tribe Eburiini
Eburodacrys alini Napp & Martins 1980

Specimen Type: paratype
Sex: m
21284


Sex: m
Photographer: Juan Pablo Botero
63377

130425