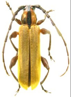
_Swift_INBio_Volcan_Cacao_Guanacaste_CR.jpg)
Specimen Type: holotype Sex: m Institution: INBC Instituto Nacional de Biodiversidad, Santo Domingo de Heredia, Heredia, Costa Rica Collection Location: Volcan Cacao, Guanacaste, Costa Rica 26987
|
_Swift_INBio_Volcan_Cacao_Guanacaste_CR.jpg)
Specimen Type: paratype 26988
|
_Swift_FTH_Turin_Guanacaste_Costa_Rica.jpg)
Specimen Type: topotype Sex: m Institution: FTH Frank T. Hovore collection (now at California Academy of Sciences) Photographer: Larry G. Bezark Collection Location: Turin, Guanacaste, Costa Rica 30730
|
_Swift_Turin_Guanacaste_Costa_Rica.jpg)
Specimen Type: topotype Sex: m Institution: FTH Frank T. Hovore collection (now at California Academy of Sciences) Photographer: Larry G. Bezark Collection Location: Turin, Guanacaste, Costa Rica 30731
|
_Swift_Monteverde_Puntarenas_Costa_Rica.jpg)
Specimen Type: topotype Institution: FTH Frank T. Hovore collection (now at California Academy of Sciences) Photographer: Larry G. Bezark Collection Location: Monteverde, Guanacaste, Costa Rica 30732
|
_Swift_lateral_Monteverde_Puntarenas_Costa_Rica.jpg)
Specimen Type: topotype Institution: FTH Frank T. Hovore collection (now at California Academy of Sciences) Photographer: Larry G. Bezark Collection Location: Monteverde, Guanacaste, Costa Rica 30733
|
|