_M_and_M_MNRJ_Encruzilhada_Bahia_Brazil.jpg)
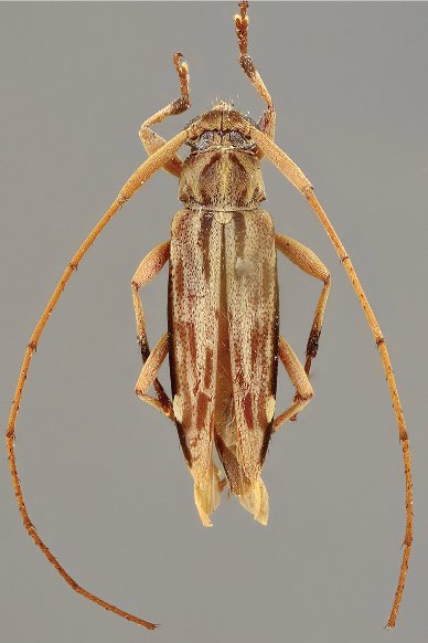
Specimen Type: holotype Sex: m Institution: MNRJ Museu Nacional Universidade do Rio Janeiro, Brazil Photographer: Larry G. Bezark Collection Location: Encruzilhada, Bahia, Brazil 33569
|

Specimen Type: paratype Sex: f 26917
|

Institution: MZFS Universidade Estadual de Feira de Santana, Bahia State, Brazil Photographer: Francisco Nascimento Collection Location: Propriá, Sergipe, Brazil 78291
|
|