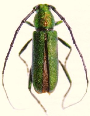
_Martins_and_Galileo_MZSP_Cuiaba_Mato_Grosso_Brazil.jpg)
Specimen Type: holotype Sex: m Institution: MZSP Museu de Zoologia da Universidade de São Paulo, Brazil Collection Location: Cuiaba, Mato Grosso, Brazil 27019
|
_Martins_and_Galileo_MZSP_Rondonopolis_Mato_Grosso_Brazil.jpg)
Specimen Type: paratype Sex: f Institution: MZSP Museu de Zoologia da Universidade de São Paulo, Brazil Collection Location: Rondonopolis, Mato Grosso, Brazil 27020
|