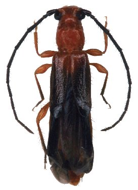
_Dalens_and_Touroult_(MNHN)_Maroni_River_Fr_Guiana.jpg)
Specimen Type: holotype Sex: m Institution: MNHN Museum of Natural History Paris, France Collection Location: Maroni River, French Guiana 26911
|
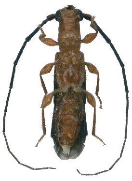
_Dalens_and_Touroult_Maroni_River_Fr_Guiana.jpg)
Specimen Type: paratype Sex: f Institution: Henri-Pierre Dalens Collection Collection Location: Maroni River, French Guiana 26912
|
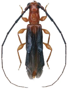
_Dalens_and_Touroult_Maroni_River_Fr_Guiana.jpg)
Specimen Type: paratype Sex: m Institution: Henri-Pierre Dalens Collection Collection Location: Maroni River, French Guiana 26910
|

Photographer: Jean-Louis Giuglaris Collection Location: Matiti, French Guiana 28713
|
|