New Search Family, Subfamily and Tribe List

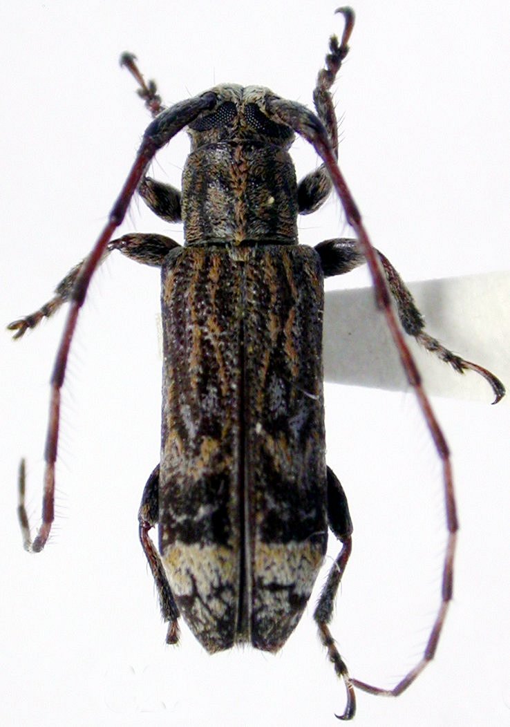
SubFamily Lamiinae

Tribe Apomecynini
Rosalba formosa Martins & Galileo 2008

Specimen Type: holotype
Sex: f
Institution: MNKM Museo de Hist Nat Noel Kempff Mercado Santa Cruz de la Sierra, Bolivia
Collection Location: Buena Vista, Santa Cruz, Bolivia
26538

130425