 SS Hov MZSP Candelaria, Loxicha, Oaxaca, Mexico JPB SS.jpg)
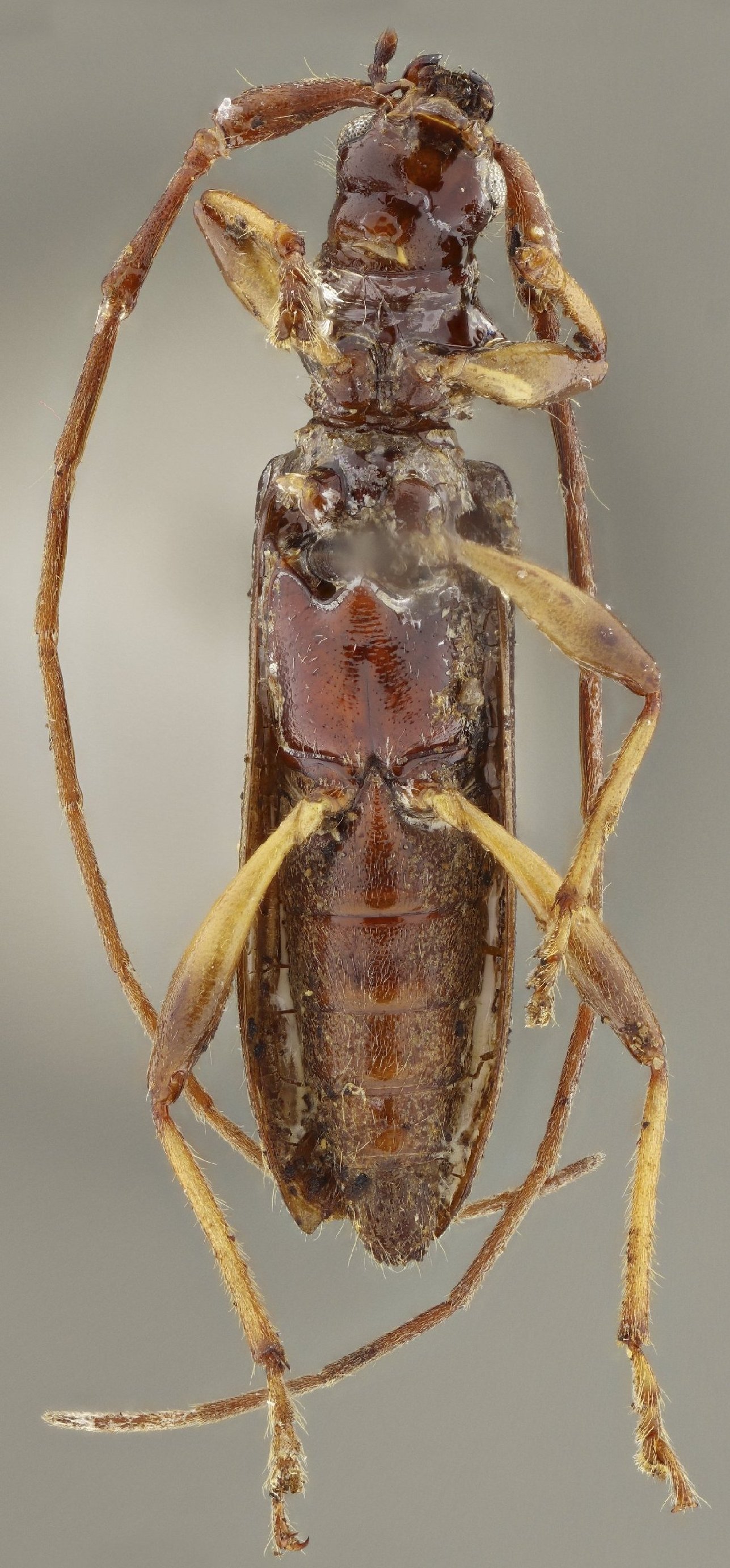
Specimen Type: holotype Sex: f Institution: MZSP Museu de Zoologia da Universidade de São Paulo, Brazil Photographer: Juan Pablo Botero & Antonio Santos-Silva Collection Location: Candelaria, Loxicha, Oaxaca, Mexico 25850
|
 SS Hov MZSP Candelaria, Loxicha, Oaxaca, Mexico JPB SS.jpg)
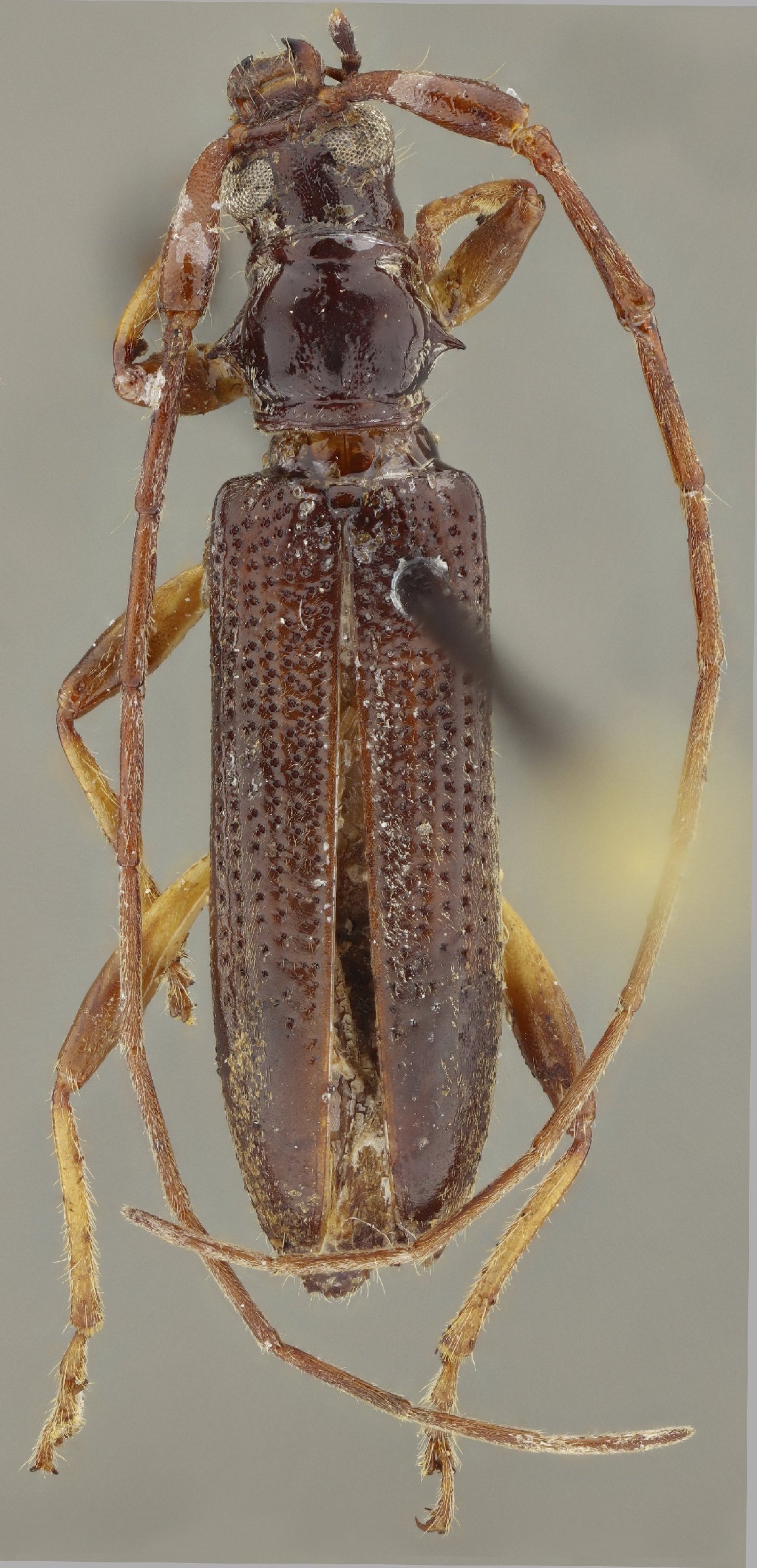
Specimen Type: holotype Sex: f Institution: MZSP Museu de Zoologia da Universidade de São Paulo, Brazil Photographer: Juan Pablo Botero & Antonio Santos-Silva Collection Location: Candelaria, Loxicha, Oaxaca, Mexico 96517
|