New Search Family, Subfamily and Tribe List

SubFamily Cerambycinae

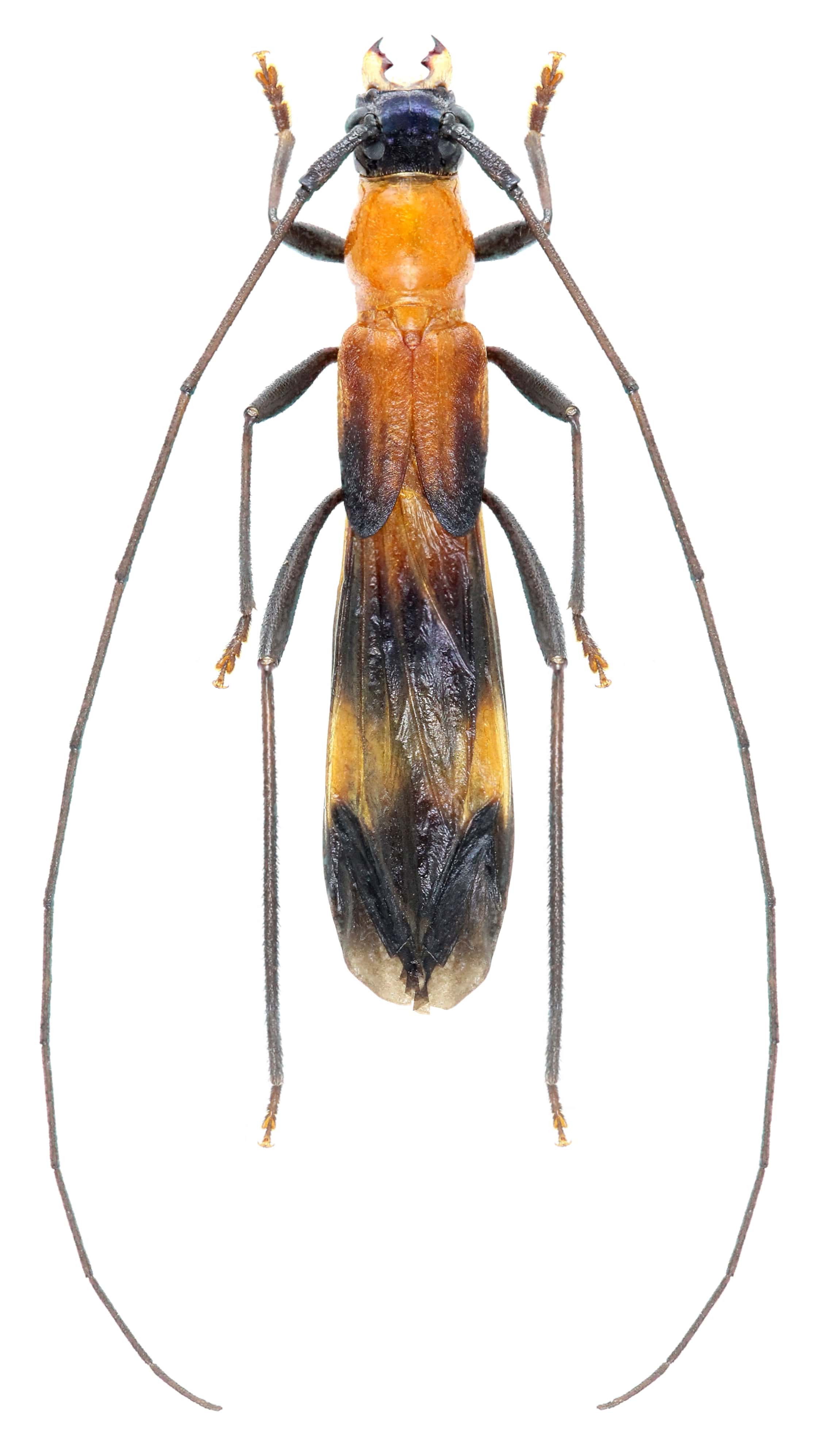
Tribe Oemini
Necydalosaurus ichneumonides Touroult & Tavakilian 2008

Specimen Type: holotype
Sex: m
Institution: MNHN Museum of Natural History Paris, France
Collection Location: French Guiana
26198


Photographer: Frédéric Robin
Collection Location: Montagne des Chevaux, French Guiana
79321

130425