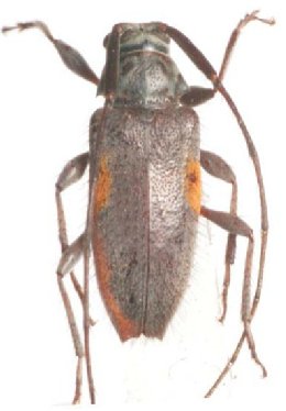
_MNRJ_Linhares_ES_Brazil.jpg)
Specimen Type: holotype Sex: m Institution: MNRJ Museu Nacional Universidade do Rio Janeiro, Brazil Photographer: Larry G. Bezark Collection Location: Linhares, Espirito Santo, Brazil 33744
|
_Mermudes_MNRJ_Linhares_Espirito_Santo_Brazil.jpg)
Specimen Type: holotype Sex: m Institution: MNRJ Museu Nacional Universidade do Rio Janeiro, Brazil Collection Location: Linhares, Espirito Santo, Brazil 25341
|