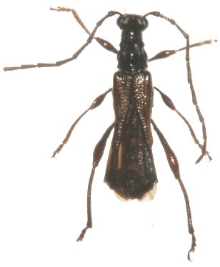
_Clarke_MNKM_Buena_Vista_SC_Bolivia.jpg)
Oxylopsebus brachypterus Clarke Specimen Type: holotype Sex: f Institution: MNKM Museo de Hist Nat Noel Kempff Mercado Santa Cruz de la Sierra, Bolivia Photographer: Robin Clarke Collection Location: Buena Vista, Santa Cruz, Bolivia 24454
|
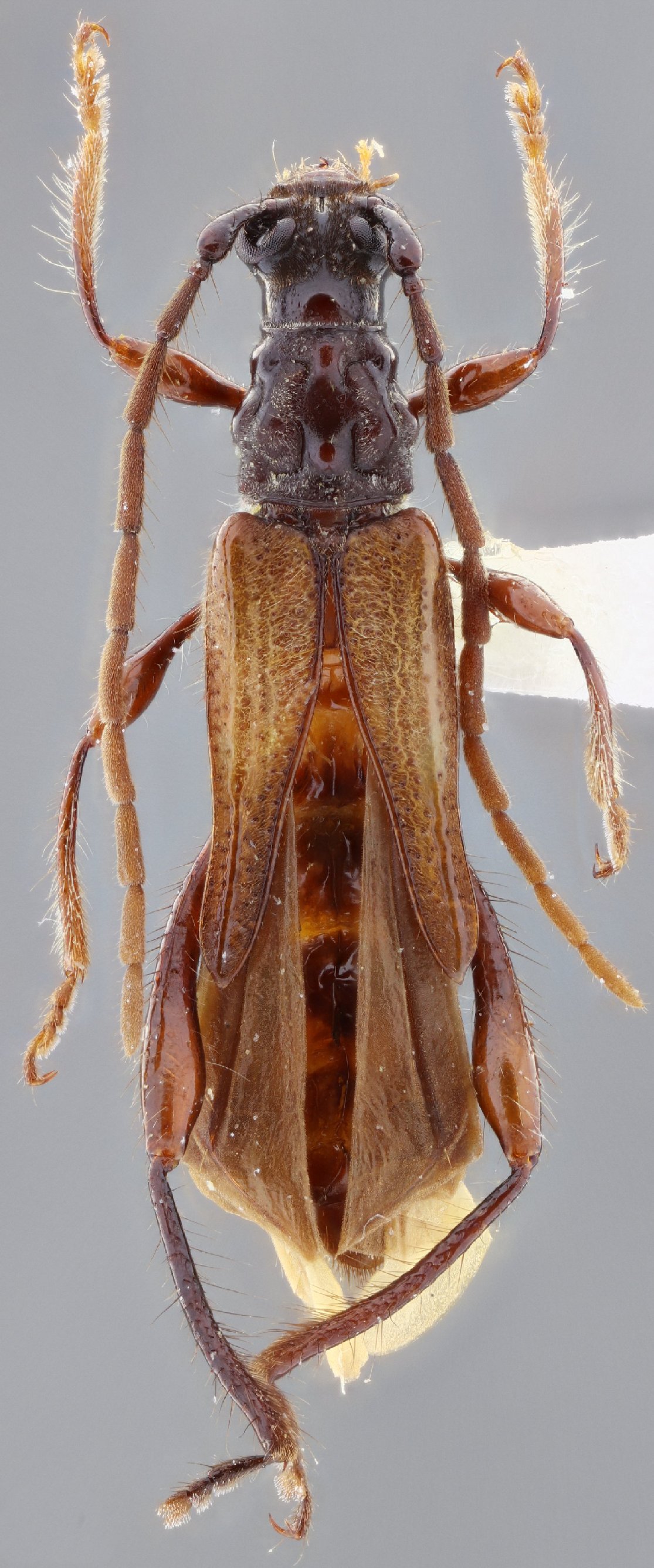
_Clarke_Buena_Vista_SC_Bolivia.jpg)
Oxylopsebus brachypterus Clarke Specimen Type: paratype Sex: m Photographer: Robin Clarke Collection Location: Buena Vista, Santa Cruz, Bolivia 24455
|
 Clarke MZSP Hotel FF SC, Bol now Oxycoleus SS.jpg)
Oxylopsebus brachypterus Clarke Specimen Type: paratype Sex: m Institution: MZSP Museu de Zoologia da Universidade de São Paulo, Brazil Photographer: Antonio Santos-Silva Collection Location: Hotel Flora & Fauna, 5km SSE Buena Vista, Santa Cruz, Bolivia 68536
|
 Clarke MZSP Hotel FF SC, Bol now Oxycoleus SS.jpg)
Oxylopsebus brachypterus Clarke Specimen Type: paratype Sex: m Institution: MZSP Museu de Zoologia da Universidade de São Paulo, Brazil Photographer: Antonio Santos-Silva Collection Location: Hotel Flora & Fauna, 5km SSE Buena Vista, Santa Cruz, Bolivia 77014
|
 Clarke MZSP Hotel FF SC, Bol now Oxycoleus SS.jpg)
Oxylopsebus brachypterus Clarke Specimen Type: paratype Sex: f Institution: MZSP Museu de Zoologia da Universidade de São Paulo, Brazil Photographer: Antonio Santos-Silva Collection Location: Hotel Flora & Fauna, 5km SSE Buena Vista, Santa Cruz, Bolivia 77015
|
 Clarke MZSP Hotel FF SC, Bol now Oxycoleus SS.jpg)
Oxylopsebus brachypterus Clarke Specimen Type: paratype Sex: f Institution: MZSP Museu de Zoologia da Universidade de São Paulo, Brazil Photographer: Antonio Santos-Silva Collection Location: Hotel Flora & Fauna, 5km SSE Buena Vista, Santa Cruz, Bolivia 77016
|
|