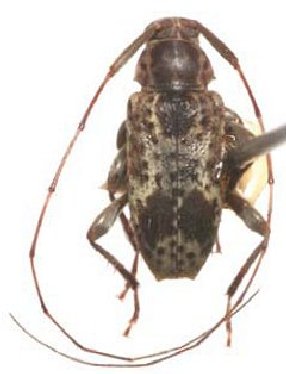
_Monne_and_Merm_MNRJ_Encruzilhada_Bahia_Braz.jpg)
Specimen Type: holotype Sex: m Institution: MNRJ Museu Nacional Universidade do Rio Janeiro, Brazil Photographer: Larry G. Bezark Collection Location: Encruzilhada, Bahia, Brazil 33928
|
_Monne_and_Mermudes_MNRJ_Encruzilhada_Bahia_Brasil.jpg)
Specimen Type: holotype Sex: m Institution: MNRJ Museu Nacional Universidade do Rio Janeiro, Brazil Collection Location: Encruzilhada, Bahia, Brazil 24444
|