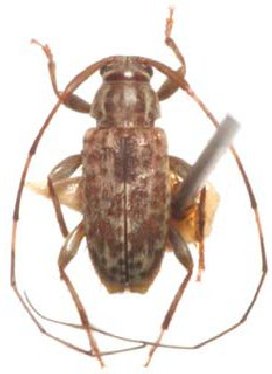
_Monne_and_Merm_MNRJ_Sinop_MT_Brazil.jpg)
Specimen Type: holotype Sex: m Institution: MNRJ Museu Nacional Universidade do Rio Janeiro, Brazil Photographer: Larry G. Bezark Collection Location: Sinop, Mato Grosso, Brazil 33927
|
_Monne_and_Mermudes_MNRJ_Sinop_Mato_Grosso_Brasil.jpg)
Specimen Type: holotype Sex: m Institution: MNRJ Museu Nacional Universidade do Rio Janeiro, Brazil Collection Location: Sinop, Mato Grosso, Brazil 24443
|