_Galileo_and_Martins_MNKM_Buena_Vista_SC_Bolivia.jpg)
Specimen Type: holotype Sex: f Institution: MNKM Museo de Hist Nat Noel Kempff Mercado Santa Cruz de la Sierra, Bolivia Collection Location: Buena Vista, Santa Cruz, Bolivia 24459
|
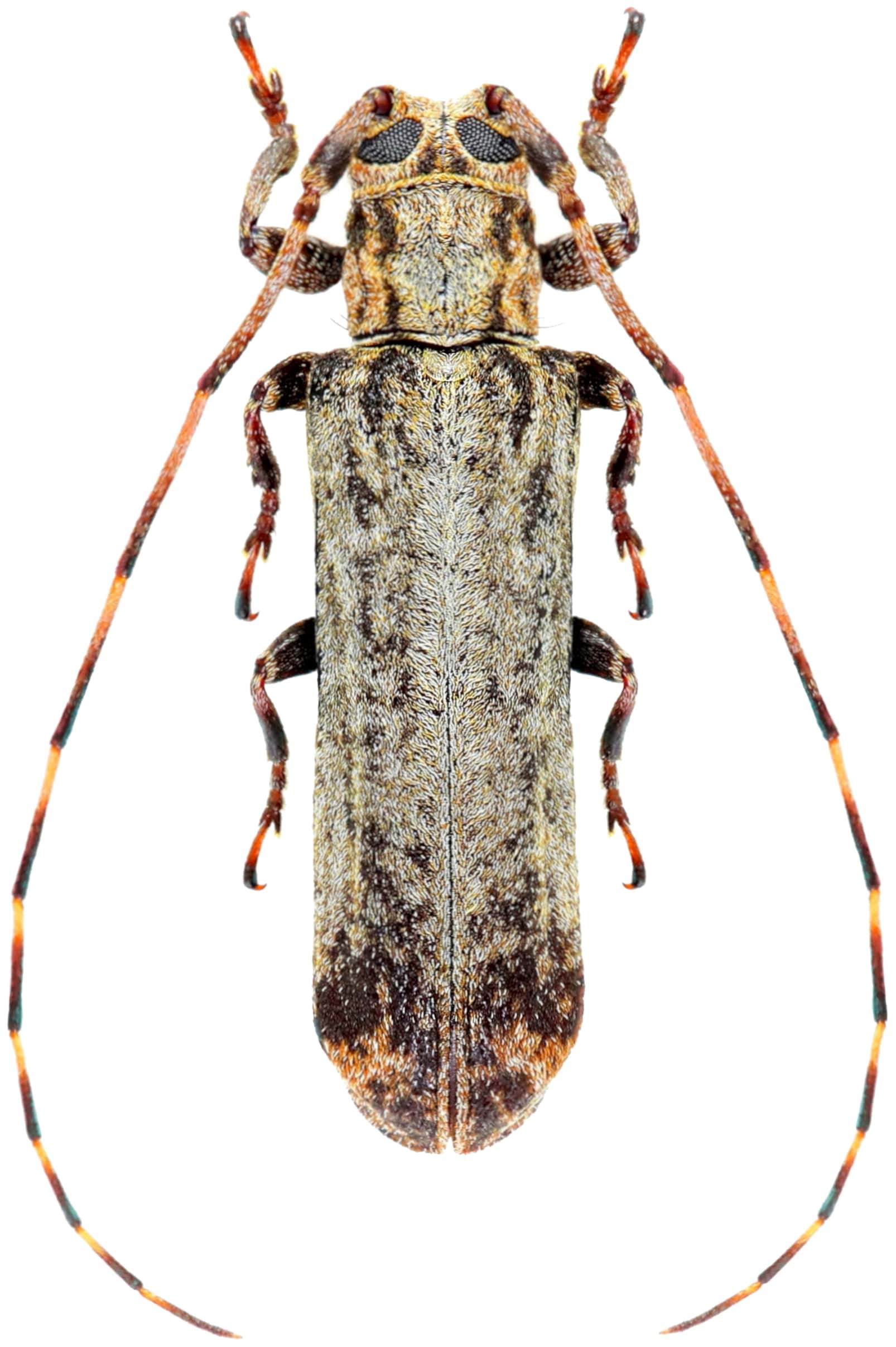
 massif du Mitaraka, Alama Cr, Montagne des Chevaux, Roura Robin.jpg)
Sex: m Photographer: Frédéric Robin Collection Location: Mitaraka, Alama Creek, Montagne des Chevaux, Roura, French Guiana 77577
|