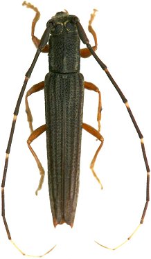
_Martins_Galileo_MZSP_Piste_de_Kaw_km36_Fr_G_SS.jpg)
Specimen Type: holotype Sex: f Institution: MZSP Museu de Zoologia da Universidade de São Paulo, Brazil Photographer: Antonio Santos-Silva Collection Location: Piste de Kaw, km 36, French Guiana 62287
|
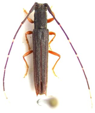
_Martins_and_Galileo_MZSP_Kaw_Fr_Guiana.jpg)
Specimen Type: holotype Sex: f Institution: MZSP Museu de Zoologia da Universidade de São Paulo, Brazil Collection Location: Kaw, French Guiana 24469
|