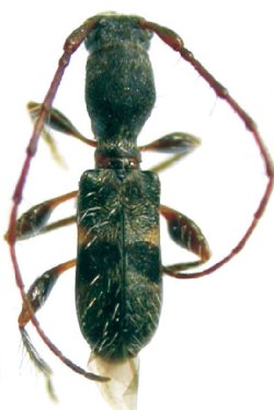
_Galileo_and_Martins_MNKM_Amboro_Santa_Cruz_Bolivia.jpg)
Specimen Type: holotype Sex: m Institution: MNKM Museo de Hist Nat Noel Kempff Mercado Santa Cruz de la Sierra, Bolivia Collection Location: Amboro, Santa Cruz, Bolivia 24463
|

Institution: LGBC Larry G. Bezark Collection, Sacramento, California, USA Photographer: Larry G. Bezark Collection Location: 7 km E Nampa, Loreto Road, Napo, Ecuador 44827
|