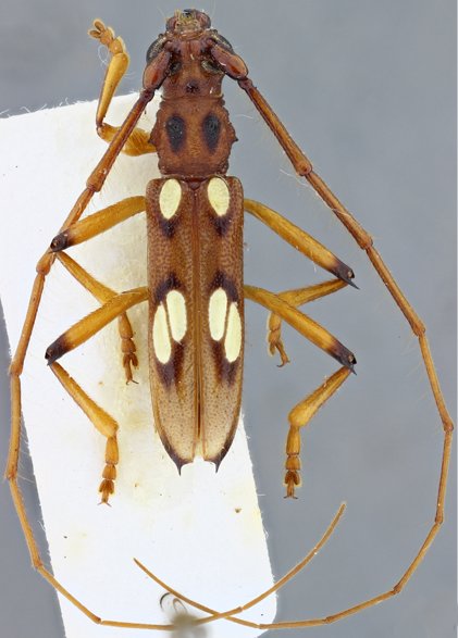
_MZSP_Kaw_French_Guiana_SS.jpg)
Specimen Type: holotype Sex: m Institution: MZSP Museu de Zoologia da Universidade de São Paulo, Brazil Photographer: Antonio Santos-Silva Collection Location: Kaw, French Guiana 63390
|
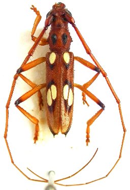
_Martins_and_Galileo_MZSP_Kaw_Fr_Guiana.jpg)
Specimen Type: holotype Sex: m Institution: MZSP Museu de Zoologia da Universidade de São Paulo, Brazil Collection Location: Kaw, French Guiana 24461
|