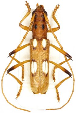
 Mart Gal MZSP Tumuc-humac, French Guiana SS.jpg)
Specimen Type: holotype Sex: m Institution: MZSP Museu de Zoologia da Universidade de São Paulo, Brazil Photographer: Antonio Santos-Silva Collection Location: Tumuc-humac, French Guiana 98889
|
 Mart Gal MZSP Tumuc-humac, French Guiana SS.jpg)
Specimen Type: holotype Sex: m Institution: MZSP Museu de Zoologia da Universidade de São Paulo, Brazil Photographer: Antonio Santos-Silva Collection Location: Tumuc-humac, French Guiana 98890
|