New Search Family, Subfamily and Tribe List

SubFamily Cerambycinae

Tribe Cerambycini Cerambycina
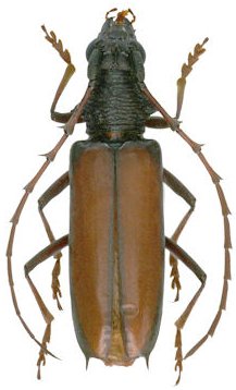
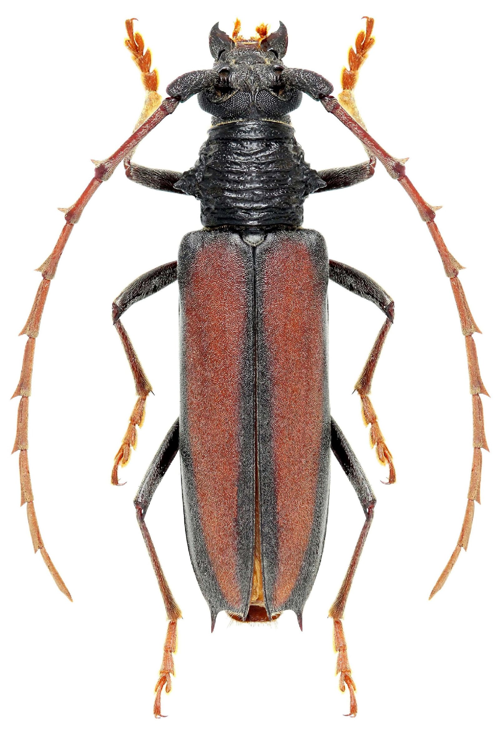
Jupoata spinosa Martins & Galileo 2008

Specimen Type: holotype
Sex: f
Institution: MZSP Museu de Zoologia da Universidade de São Paulo, Brazil
Collection Location: Kaw, French Guiana
24467


Photographer: Odette Morvan
Collection Location: French Guiana
31499


Sex: f
Photographer: Frédéric Robin
Collection Location: Montagne des Chevaux, French Guiana
78482

130425