New Search Family, Subfamily and Tribe List

SubFamily Cerambycinae

Tribe Plectromerini
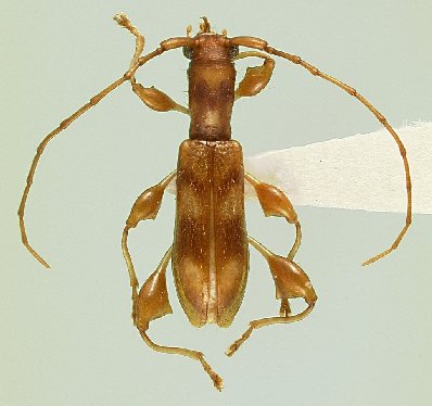
Plectromerus morrisi Nearns & Branham 2008

Specimen Type: holotype
Sex: f
Institution: NMNH United States National Museum, Washington, DC, USA
Photographer: Gino Nearns
Collection Location: 12 Km N El Llano, Panama
24367

130425